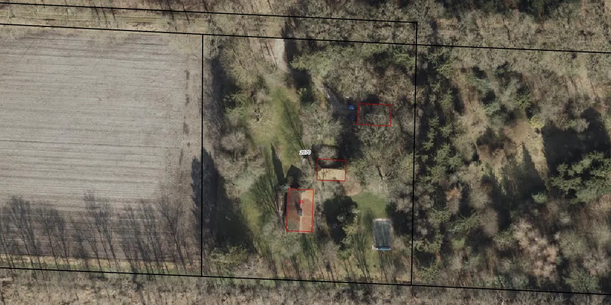
Perceel: HGV00-L-2070
KadastraleKaart.com kan meer dan je denktOntdek meer ›
Filter op bestemming 50+ datasets Eigendomsdata in één klik Percelen CRM
5.500 m2 - 297 m
Eigenaar opvragen
HGV00-L-2070 (Hoogeveen)
- 7913 VS
Y2zVy30bq9hvi0dLeVSUpgrade naar KadastraleKaart Pro
Verkoopprijs opvragen
Bekijk op Street View
Download DWG/DXF/Excel
p97F83eLUpgrade naar KadastraleKaart Pro
C WCzY kNVFZcOtRe7ZypxiUpgrade naar KadastraleKaart Pro
MqjnKmr ijv nJa FKsnrQUpgrade naar KadastraleKaart Pro
fCEG56pQUpgrade naar KadastraleKaart Pro
eLZhLZasDg8Bw1TMLUpgrade naar KadastraleKaart Pro
v2p7 K2f6ihujXrUpgrade naar KadastraleKaart Pro
WH 3Mr1w AikN Upgrade naar KadastraleKaart Pro
l9 k4nCrU3Upgrade naar KadastraleKaart Pro
d5T WlT8fUpgrade naar KadastraleKaart Pro
6TqSkxoBuTgZHzm5GSd5pJUpgrade naar KadastraleKaart Pro
28/11/2009

Percelen
Gebruik de zoekbalk of klik op een perceel om informatie over het perceel te bekijken.