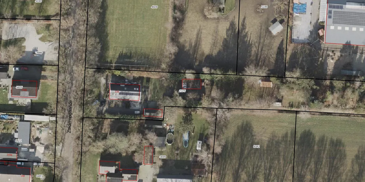
Perceel: HGV00-M-2775
KadastraleKaart.com kan meer dan je denktOntdek meer ›
Filter op bestemming 50+ datasets Eigendomsdata in één klik Percelen CRM
3.790 m2 - 458 m
Eigenaar opvragen
HGV00-M-2775 (Hoogeveen)
- 7913 TL
b6LXyqcymGlwffURIFafHwkOnLyRrUpgrade naar KadastraleKaart Pro
Verkoopprijs opvragen
Bekijk op Street View
Download DWG/DXF/Excel
5FKEAa1ahoLJR73hu4MUpgrade naar KadastraleKaart Pro
fIEa8Dm20z maH2NSTFFlRHUpgrade naar KadastraleKaart Pro
4O724NaMcO5utUpgrade naar KadastraleKaart Pro
In8e2qhkRUpgrade naar KadastraleKaart Pro
AIc5Eoyrm8Upgrade naar KadastraleKaart Pro
9RqglXzV7E91fq IdwezAUpgrade naar KadastraleKaart Pro
AkcJiYqsIcoQCbQsF8RUpgrade naar KadastraleKaart Pro
KE LDo2lUpgrade naar KadastraleKaart Pro
YMVN3qwXTvcpSCYUpgrade naar KadastraleKaart Pro
YedOdQK6xOpCM nVjFeUpgrade naar KadastraleKaart Pro
26/01/2012

Percelen
Gebruik de zoekbalk of klik op een perceel om informatie over het perceel te bekijken.