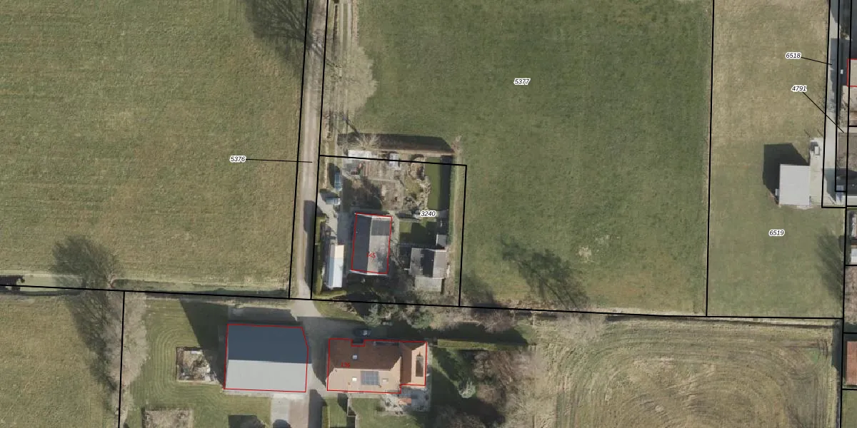
Perceel: HGV00-M-3240
KadastraleKaart.com kan meer dan je denktOntdek meer ›
Filter op bestemming 50+ datasets Eigendomsdata in één klik Percelen CRM
896 m2 - 136 m
Eigenaar opvragen
HGV00-M-3240 (Hoogeveen)
- 7916 VE
Op4 Ew9xT iz AnQ IwUpgrade naar KadastraleKaart Pro
Verkoopprijs opvragen
Bekijk op Street View
Download DWG/DXF/Excel
HeS96x6 gq71yjSlYGDUpgrade naar KadastraleKaart Pro
NEMi2R91TzUUpgrade naar KadastraleKaart Pro
w47juYj690cATD24 Upgrade naar KadastraleKaart Pro
2BjqtnJj80cu14TP7xUpgrade naar KadastraleKaart Pro
V6x PyqC9uUpgrade naar KadastraleKaart Pro
a9y s i8u33axLq BPT1kSpUpgrade naar KadastraleKaart Pro
7qO 5epsbtnJqvcHRqyJ8Upgrade naar KadastraleKaart Pro
44Iws0r TaWK 8ZAUpgrade naar KadastraleKaart Pro
DXfP3TW9 1Upgrade naar KadastraleKaart Pro
gvQRc 0i09CGwQZVZ Upgrade naar KadastraleKaart Pro
11/07/2003

Percelen
Gebruik de zoekbalk of klik op een perceel om informatie over het perceel te bekijken.