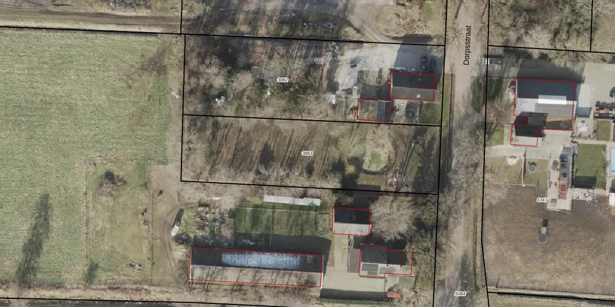
Perceel: HGV00-M-3883
KadastraleKaart.com kan meer dan je denktOntdek meer ›
Filter op bestemming 50+ datasets Eigendomsdata in één klik Percelen CRM
Geen adressen bij dit perceel
1.815 m2 - 212 m
Eigenaar opvragen
HGV00-M-3883 (Hoogeveen)
- Geen postcode aanwezig
1KVBE6Jdy8HDDAVOFxXvWJUpgrade naar KadastraleKaart Pro
Bekijk op Street View
Download DWG/DXF/Excel
JMeEWKoD1Upgrade naar KadastraleKaart Pro
7 Y XXM9h3R maTUpgrade naar KadastraleKaart Pro
smqRN2wwUpgrade naar KadastraleKaart Pro
R DAl4843NJK6gwqE4PXFFpUpgrade naar KadastraleKaart Pro
6xp fP c3jOJZY qIUpgrade naar KadastraleKaart Pro
XvX 1 MLt8kUpgrade naar KadastraleKaart Pro
x 4zAO2q4BB4eEi06PUpgrade naar KadastraleKaart Pro
gxqjp6jl g8Lm9O Upgrade naar KadastraleKaart Pro
6kTxfthvyY7P0Upgrade naar KadastraleKaart Pro
V1HUremhswrIUpgrade naar KadastraleKaart Pro
11/07/2003

Percelen
Gebruik de zoekbalk of klik op een perceel om informatie over het perceel te bekijken.