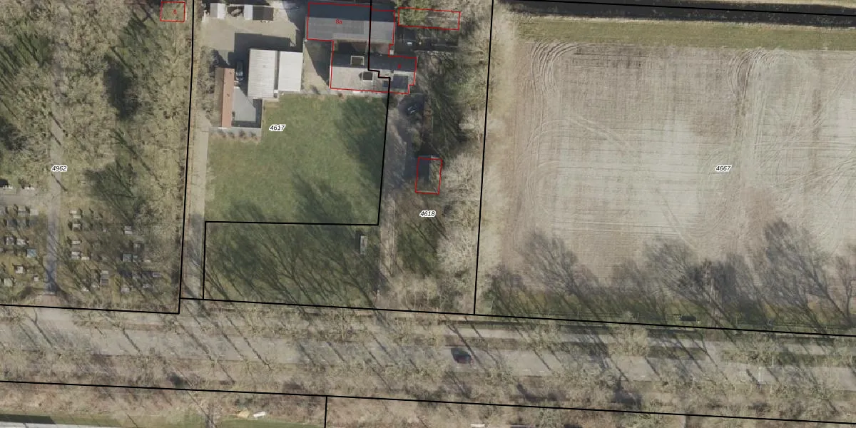
Perceel: HGV00-M-4618
KadastraleKaart.com kan meer dan je denktOntdek meer ›
Filter op bestemming 50+ datasets Eigendomsdata in één klik Percelen CRM
2.570 m2 - 284 m
Eigenaar opvragen
HGV00-M-4618 (Hoogeveen)
- 7916 RD
H2RMf 5BhD6 P g2tOUpgrade naar KadastraleKaart Pro
Bekijk op Street View
Download DWG/DXF/Excel
OJ mmWGczvPUpgrade naar KadastraleKaart Pro
vjpFAG2pUpgrade naar KadastraleKaart Pro
9oU9kfpFDLCv uuD9VMI Upgrade naar KadastraleKaart Pro
8q r2vsf30JmLUpgrade naar KadastraleKaart Pro
tqINP mffNUpgrade naar KadastraleKaart Pro
Hud WZ39DsUpgrade naar KadastraleKaart Pro
HlykAizFYxcONUpgrade naar KadastraleKaart Pro
x Fe YQRvWlnAW5gUpgrade naar KadastraleKaart Pro
aG1950hyZP 9I5 p QUpgrade naar KadastraleKaart Pro
5Yfm1x4QWpXUpgrade naar KadastraleKaart Pro
11/07/2003

Percelen
Gebruik de zoekbalk of klik op een perceel om informatie over het perceel te bekijken.