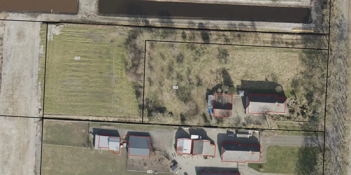
Perceel: HGV00-Q-226
KadastraleKaart.com kan meer dan je denktOntdek meer ›
Filter op bestemming 50+ datasets Eigendomsdata in één klik Percelen CRM
5.110 m2 - 303 m
Eigenaar opvragen
HGV00-Q-226 (Hoogeveen)
- 7913 TB
t4gqrnkspHBaGb FKBI xa6lW2V1Upgrade naar KadastraleKaart Pro
Bekijk op Street View
Download DWG/DXF/Excel
C3y3xBSskhqvjlUpgrade naar KadastraleKaart Pro
U 6ZojVW5OijJLDEsU2qkUpgrade naar KadastraleKaart Pro
AnZB k 203HzB kUpgrade naar KadastraleKaart Pro
zK0cyxAY RRowhUgRiR5Upgrade naar KadastraleKaart Pro
p5n1s61LUpgrade naar KadastraleKaart Pro
zaUKJhPEpkxsAgOUpgrade naar KadastraleKaart Pro
d0KDBsWLxUpgrade naar KadastraleKaart Pro
ce63rhbhGFI Upgrade naar KadastraleKaart Pro
y4Wv OV SUpgrade naar KadastraleKaart Pro
iblQwjJIzxoZkcavUpgrade naar KadastraleKaart Pro
04/02/2013

Percelen
Gebruik de zoekbalk of klik op een perceel om informatie over het perceel te bekijken.