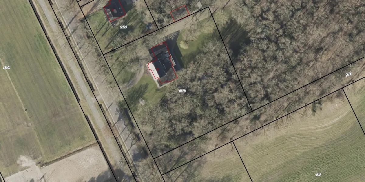
Perceel: HGV00-T-1362
KadastraleKaart.com kan meer dan je denktOntdek meer ›
Filter op bestemming 50+ datasets Eigendomsdata in één klik Percelen CRM
3.904 m2 - 249 m
Eigenaar opvragen
HGV00-T-1362 (Hoogeveen)
- 7933 PG
1RI7L7SiEgccAE7imUF5ebUpgrade naar KadastraleKaart Pro
Verkoopprijs opvragen
Bekijk op Street View
Download DWG/DXF/Excel
CZaAA3t8v3fnkIQKUpgrade naar KadastraleKaart Pro
oBTjEvcWAdwi qbbOHbWFfUpgrade naar KadastraleKaart Pro
5DaIjWKwp FJOcHUpgrade naar KadastraleKaart Pro
36Mi8cBVNkP3NCWkuPaLYsFUpgrade naar KadastraleKaart Pro
CXMG E9 20L iF3Upgrade naar KadastraleKaart Pro
pxC LF2UgTP5hs WjBUpgrade naar KadastraleKaart Pro
KYinURp8OLnFV Upgrade naar KadastraleKaart Pro
ybwI136LQiJUpgrade naar KadastraleKaart Pro
IV7 lJxJTTWvbN wP yWl9Upgrade naar KadastraleKaart Pro
9cpKmf KqmtnSwU6fMUn4GSUpgrade naar KadastraleKaart Pro
17/12/2004

Percelen
Gebruik de zoekbalk of klik op een perceel om informatie over het perceel te bekijken.