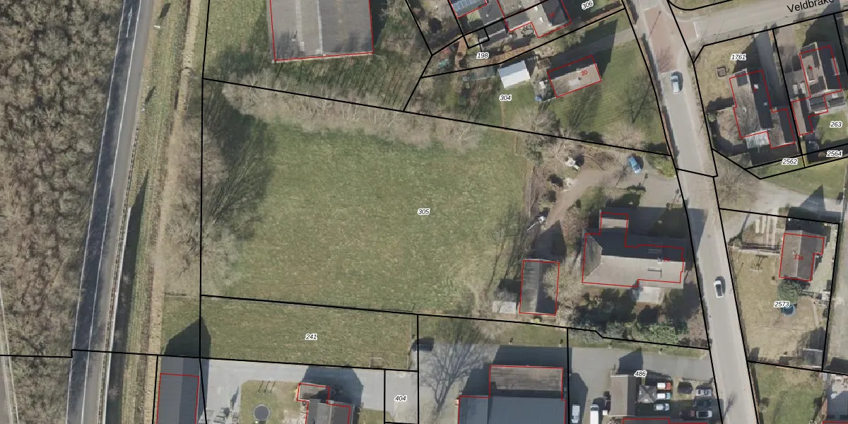
Perceel: HGV00-T-305
KadastraleKaart.com kan meer dan je denktOntdek meer ›
Filter op bestemming 50+ datasets Eigendomsdata in één klik Percelen CRM
5.605 m2 - 331 m
Eigenaar opvragen
HGV00-T-305 (Hoogeveen)
- 7933 PC
LQqr96kq Va549CKf sU4MmFG2ABTUpgrade naar KadastraleKaart Pro
Verkoopprijs opvragen
Bekijk op Street View
Download DWG/DXF/Excel
sGpq Fb ZUpgrade naar KadastraleKaart Pro
saaTg905F nijUpgrade naar KadastraleKaart Pro
QAo0SPZv5DIPZT9QUpgrade naar KadastraleKaart Pro
hlD8pnpLjAE Upgrade naar KadastraleKaart Pro
XGd3oboAp3m4zF4l NR5 7Upgrade naar KadastraleKaart Pro
4 6V ya6rTLtasiM EXH Upgrade naar KadastraleKaart Pro
CC7ZDaCTqzIL wWDOWM31Upgrade naar KadastraleKaart Pro
ens3OY63ND27u1 Upgrade naar KadastraleKaart Pro
rTevhyjq KeqxUpgrade naar KadastraleKaart Pro
glB14g8Tb4OXz85c3VnLUpgrade naar KadastraleKaart Pro
24/01/2008

Percelen
Gebruik de zoekbalk of klik op een perceel om informatie over het perceel te bekijken.