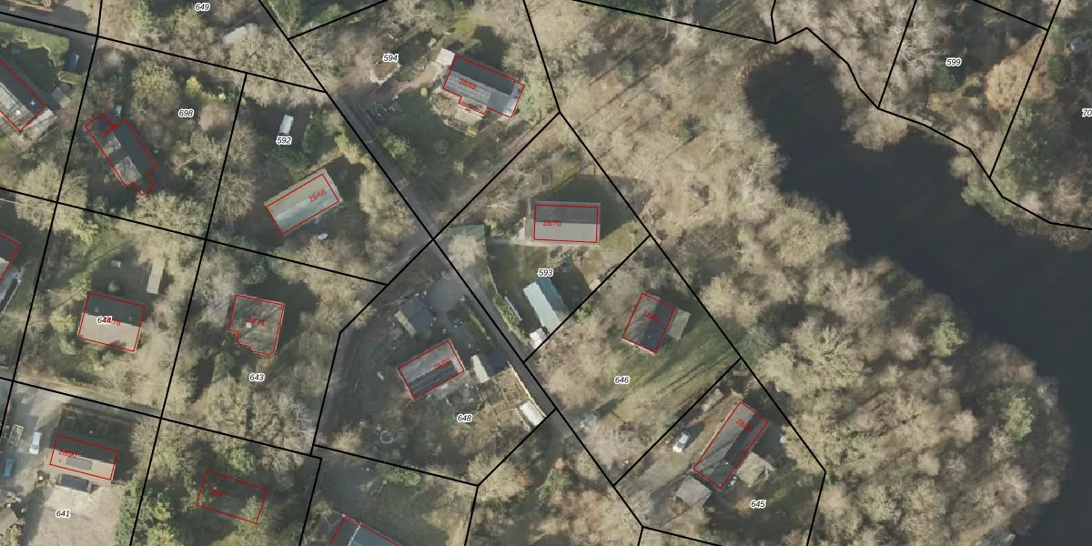
Perceel: HGV00-T-593
KadastraleKaart.com kan meer dan je denktOntdek meer ›
Filter op bestemming 50+ datasets Eigendomsdata in één klik Percelen CRM
910 m2 - 122 m
Eigenaar opvragen
HGV00-T-593 (Hoogeveen)
- 7933 TW
SEd9n0JJQn9PBdU vPTb0dO4Upgrade naar KadastraleKaart Pro
Verkoopprijs opvragen
Bekijk op Street View
Download DWG/DXF/Excel
ZQDRB70fUpgrade naar KadastraleKaart Pro
LVM6uw3VTUpgrade naar KadastraleKaart Pro
D 6hsxLX15a8YOZBS JluwQUpgrade naar KadastraleKaart Pro
jXnTuAX0WeHay3JEgYUbUSUpgrade naar KadastraleKaart Pro
g3a4cP3fJUpgrade naar KadastraleKaart Pro
K0Wc13d78TUpgrade naar KadastraleKaart Pro
QJ W JF0Lb0frHUpgrade naar KadastraleKaart Pro
s XkXx Sv4Upgrade naar KadastraleKaart Pro
eQpDsnFDTpCvE oOMItbPfyUpgrade naar KadastraleKaart Pro
GRpCKIT9dvUpgrade naar KadastraleKaart Pro
22/09/2003

Percelen
Gebruik de zoekbalk of klik op een perceel om informatie over het perceel te bekijken.