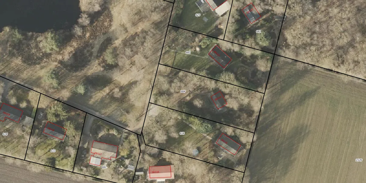
Perceel: HGV00-T-684
KadastraleKaart.com kan meer dan je denktOntdek meer ›
Filter op bestemming 50+ datasets Eigendomsdata in één klik Percelen CRM
1.323 m2 - 164 m
Eigenaar opvragen
HGV00-T-684 (Hoogeveen)
- 7933 TW
HwBCjf b0wRfAG3E0 zpxeRnrenyuUpgrade naar KadastraleKaart Pro
Bekijk op Street View
Download DWG/DXF/Excel
UNX3xXO5m ZUVUpgrade naar KadastraleKaart Pro
C 3eX7RYCUpgrade naar KadastraleKaart Pro
2 GvaGy Atc3i0sUpgrade naar KadastraleKaart Pro
eZ isNjYUpgrade naar KadastraleKaart Pro
p SYpPnb sFgkK90Suz BQUpgrade naar KadastraleKaart Pro
lft ecpJqlFUpgrade naar KadastraleKaart Pro
DltFm4Yg1 uOFIFmNI5Mwe Upgrade naar KadastraleKaart Pro
eKVA Fv4RRksMw2hzPGY8Upgrade naar KadastraleKaart Pro
7CiaC6C3BRqza vwSUpgrade naar KadastraleKaart Pro
EeV08QXKO236bi9BOUpgrade naar KadastraleKaart Pro
13/12/2007

Percelen
Gebruik de zoekbalk of klik op een perceel om informatie over het perceel te bekijken.