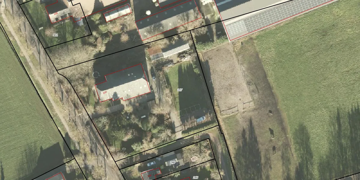
Perceel: HGZ00-N-247
KadastraleKaart.com kan meer dan je denktOntdek meer ›
Filter op bestemming 50+ datasets Eigendomsdata in één klik Percelen CRM
3.844 m2 - 254 m
Eigenaar opvragen
HGZ00-N-247 (Hoogezand)
- 9608 PL
CoXY1RqOCLmQeevxdh9NB vthQPgwUpgrade naar KadastraleKaart Pro
Verkoopprijs opvragen
Bekijk op Street View
Download DWG/DXF/Excel
zi1guBCWp0MViD DpHTSi3LUpgrade naar KadastraleKaart Pro
s3gr0C80G uK11KGVxdmLxUpgrade naar KadastraleKaart Pro
L7M6tB Axj 9eNB0Upgrade naar KadastraleKaart Pro
GWAQHYPY8vkw8V144Y JUpgrade naar KadastraleKaart Pro
tZH QVzwUpgrade naar KadastraleKaart Pro
htnREN zOsHkdkrp9EPlcUpgrade naar KadastraleKaart Pro
kFUB1PLpFv9L I6xUpgrade naar KadastraleKaart Pro
EDrCRYfzi9rt R7Upgrade naar KadastraleKaart Pro
VF 0nZ88rKTzOaqUpgrade naar KadastraleKaart Pro
RQfM Zjx495KHUpgrade naar KadastraleKaart Pro
16/08/2012

Percelen
Gebruik de zoekbalk of klik op een perceel om informatie over het perceel te bekijken.