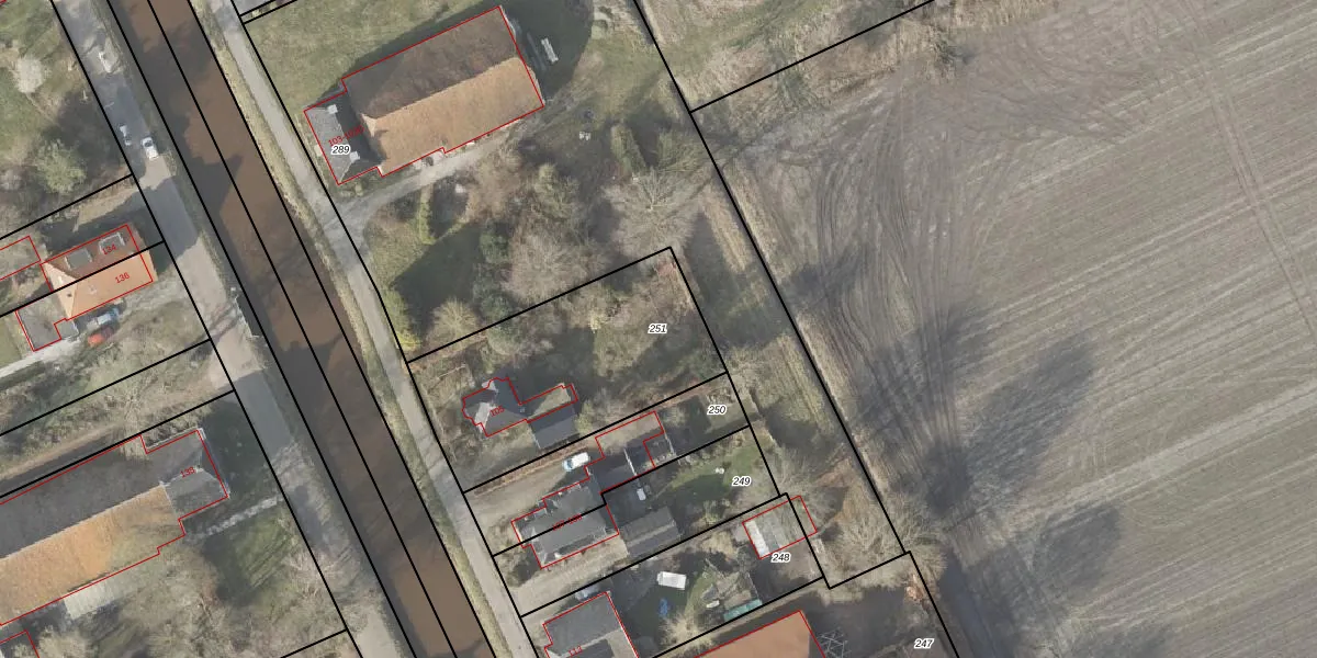
Perceel: HGZ00-O-251
935 m2 - 130 m
Eigenaar opvragen
HGZ00-O-251 (Hoogezand)
- 9605 PM
k10xFGe4rh1F09Tx6XO5iSQUpgrade naar KadastraleKaart Pro
Verkoopprijs opvragen
Bekijk op Street View
Download DWG/DXF/Excel
e9Lung6 b6TJZeYmOtNUpgrade naar KadastraleKaart Pro
Ulk9Vl Lja1SXgTuJJvUpgrade naar KadastraleKaart Pro
i tUp O0Nek0MqbNw9FcLsUpgrade naar KadastraleKaart Pro
ONEH y m6fyRWLp9M0XPWlUpgrade naar KadastraleKaart Pro
7J n1Z KUpgrade naar KadastraleKaart Pro
lbgLC xAR5BVo Y8ZKQdSKUpgrade naar KadastraleKaart Pro
UeHrpgXeEEojJzw32JUpgrade naar KadastraleKaart Pro
ymKQdC873z9zF sOkOEoSZUpgrade naar KadastraleKaart Pro
vg bashBf Zjd1Upgrade naar KadastraleKaart Pro
eAXEAydXHdiVUOgm2MG5ZtUpgrade naar KadastraleKaart Pro
21/03/2005

Percelen
Gebruik de zoekbalk of klik op een perceel om informatie over het perceel te bekijken.