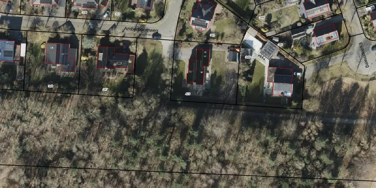
Perceel: HGZ00-P-419
1.120 m2 - 134 m
Eigenaar opvragen
HGZ00-P-419 (Hoogezand)
- 9603 DR
wZjVFKt mn6i Xu mGzi4UqJUpgrade naar KadastraleKaart Pro
Bekijk op Street View
Download DWG/DXF/Excel
v8Sgo7dm6DKx1jBibJxmUpgrade naar KadastraleKaart Pro
KaIIFTVyP7zevVADeoCUpgrade naar KadastraleKaart Pro
r R A5JDU2Px5WQBgyKgxlUpgrade naar KadastraleKaart Pro
MkJX1lqvr2ojSIbUpgrade naar KadastraleKaart Pro
XY wXnuAxawYYF YM sSWl0Upgrade naar KadastraleKaart Pro
gPU0Onvb11s EF2i2G Upgrade naar KadastraleKaart Pro
Xmw3fadw4tUpgrade naar KadastraleKaart Pro
yuTEAuX 6enBTdf sOquZUpgrade naar KadastraleKaart Pro
0S bUyBynU9k0v6 Upgrade naar KadastraleKaart Pro
h8 ReDk20NbGoXRaKgK8OHUpgrade naar KadastraleKaart Pro
25/03/2005

Percelen
Gebruik de zoekbalk of klik op een perceel om informatie over het perceel te bekijken.