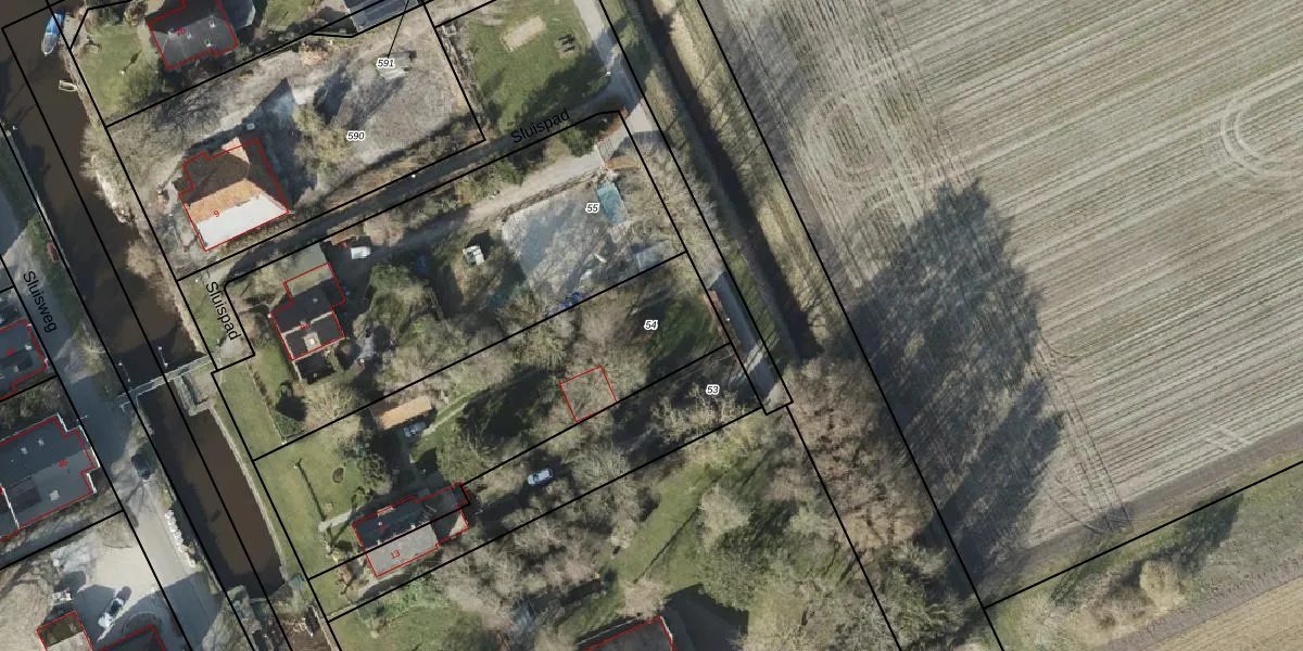
Perceel: HGZ00-P-54
1.325 m2 - 187 m
Eigenaar opvragen
HGZ00-P-54 (Hoogezand)
- 9605 PR
KK72XRXbJyH30UFBt5uyniZ4Upgrade naar KadastraleKaart Pro
Bekijk op Street View
Download DWG/DXF/Excel
DH sqP1CrFYty0rf5svzeUpgrade naar KadastraleKaart Pro
locuKSRKtUpgrade naar KadastraleKaart Pro
x j 7K xJUpgrade naar KadastraleKaart Pro
JVlyH J3tf K M59KUpgrade naar KadastraleKaart Pro
dJeh UIVzr7X1Upgrade naar KadastraleKaart Pro
yYXX9Wnzs F UEUpgrade naar KadastraleKaart Pro
d2is yZ5TF2wjgF UMuktUpgrade naar KadastraleKaart Pro
kyhTYfp4bQUpgrade naar KadastraleKaart Pro
KWIA4CshPUUpgrade naar KadastraleKaart Pro
dlrqe76hH3yGHRaUpgrade naar KadastraleKaart Pro
12/09/2007

Percelen
Gebruik de zoekbalk of klik op een perceel om informatie over het perceel te bekijken.