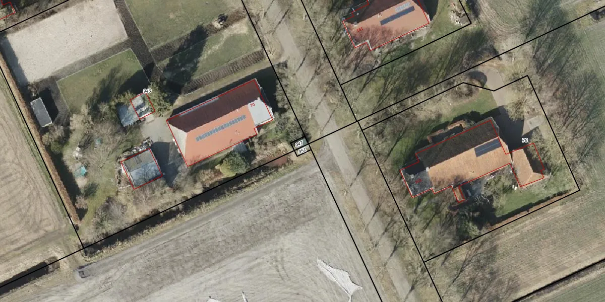
Perceel: HGZ00-P-951
KadastraleKaart.com kan meer dan je denktOntdek meer ›
Filter op bestemming 50+ datasets Eigendomsdata in één klik Percelen CRM
Geen adressen bij dit perceel
11 m2 - 15 m
Eigenaar opvragen
HGZ00-P-951 (Hoogezand)
- Geen postcode aanwezig
Z13br3O1hzdpTQfkuc YNIteSxUpgrade naar KadastraleKaart Pro
Bekijk op Street View
Download DWG/DXF/Excel
tqlHVE9rak 8oUpgrade naar KadastraleKaart Pro
vXufhGYkSu1Ttio1Upgrade naar KadastraleKaart Pro
gNUX41mdRAvsXw XmUpgrade naar KadastraleKaart Pro
cUWY CWrdbYP4vwUpgrade naar KadastraleKaart Pro
tHHTPVqZq NOgXRRw4UbnqUpgrade naar KadastraleKaart Pro
KDZba YmUHFd3Upgrade naar KadastraleKaart Pro
XinOj1E5XDJQUpgrade naar KadastraleKaart Pro
11T 0IutyUpgrade naar KadastraleKaart Pro
T Gg7VPTmVOuUpgrade naar KadastraleKaart Pro
ksRKnsv3i5RzXZMe8 CUvtUpgrade naar KadastraleKaart Pro
11/03/2026

Percelen
Gebruik de zoekbalk of klik op een perceel om informatie over het perceel te bekijken.