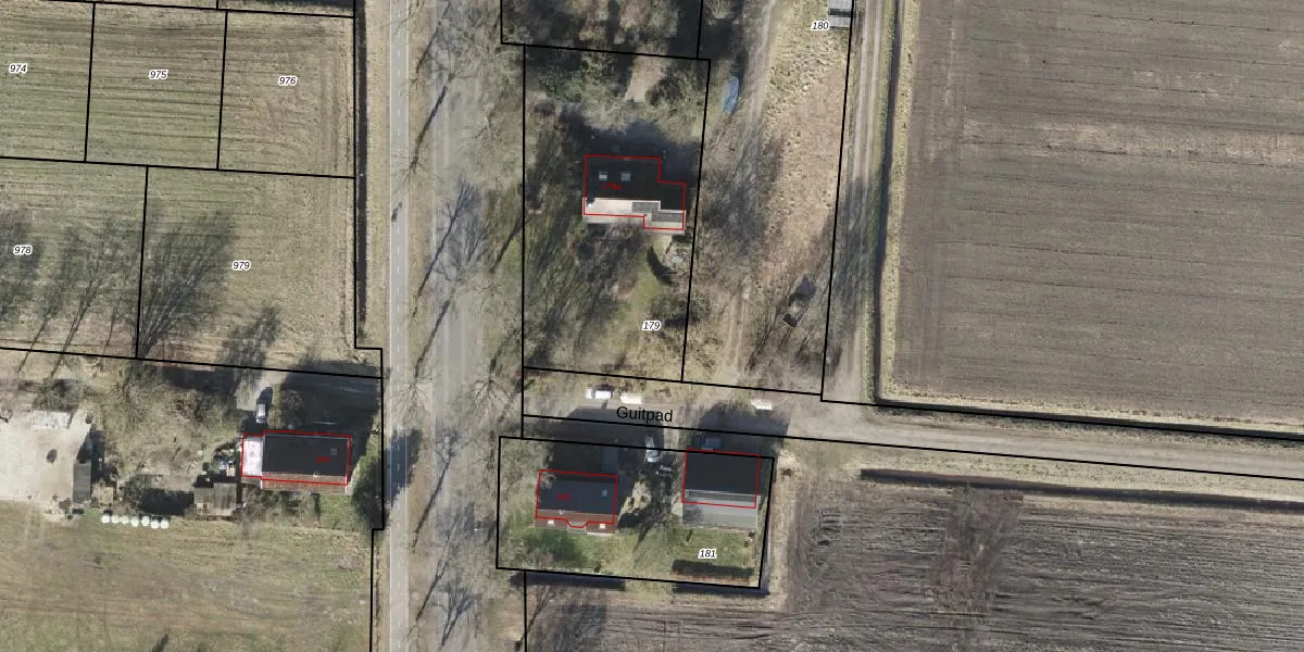
Perceel: HGZ00-R-179
1.310 m2 - 152 m
Eigenaar opvragen
HGZ00-R-179 (Hoogezand)
- 9606 PD
lSaB5IQ1 sr jCc rIal7iUpgrade naar KadastraleKaart Pro
Bekijk op Street View
Download DWG/DXF/Excel
4 pVrXIbilVLp3GUpgrade naar KadastraleKaart Pro
9wPFX QTUpgrade naar KadastraleKaart Pro
SdUwcY6LPTUpgrade naar KadastraleKaart Pro
B5p606nioWcIlBRTARgUpgrade naar KadastraleKaart Pro
ghTOS0m95C s5Upgrade naar KadastraleKaart Pro
SVgWGkwK7Upgrade naar KadastraleKaart Pro
jumNOe pK EUpgrade naar KadastraleKaart Pro
LvTtRsSJHXlFcUpgrade naar KadastraleKaart Pro
7Vv8 vKZ1CRlpb jUpgrade naar KadastraleKaart Pro
qI8oF9 sMIeFUVUpgrade naar KadastraleKaart Pro
13/04/2010

Percelen
Gebruik de zoekbalk of klik op een perceel om informatie over het perceel te bekijken.