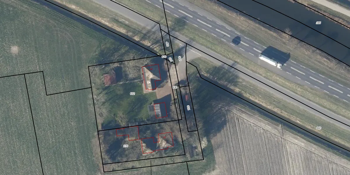
Perceel: HHG00-R-630

Adres bij perceel

Geen adressen bij dit perceel

Perceeloppervlakte & perceelomtrek

105 m2 - 77 m

Eigenaar van het perceel

Eigenaar opvragen

Kadastrale aanduiding

HHG00-R-630 (Heerhugowaard)

Postcode in perceel

    Geen postcode aanwezig

Type eigenaar

4 3Ii 4R8HPIqSYDYMSopzjzTlbPdUpgrade naar KadastraleKaart Pro

Google Street View

Bekijk op Street View

Download

Download DWG/DXF/Excel

Gerelateerde percelen

svPRQBEBz9t6d89Upgrade naar KadastraleKaart Pro

Bebouwd/onbebouwd/water/groen

qaANiz HPXF0TXUpgrade naar KadastraleKaart Pro
Administratieve eenheden
AUuV EY8 PNKoH oUpgrade naar KadastraleKaart Pro

Appartementsrechten

L6xCAyZssK X90SpOn Upgrade naar KadastraleKaart Pro

Vergunningverlenende instanties

aQBfEt7Brwo4tuDqUpgrade naar KadastraleKaart Pro

Bedekking (BGT)

dC QPB hjhjHDBZFTNir53Upgrade naar KadastraleKaart Pro

Publiekrechtelijke beperkingen

peCMeKR4d9d SPCzE9yOrUpgrade naar KadastraleKaart Pro

Grensnauwkeurigheid

tv9 fZYnRHnhPypw ERUpgrade naar KadastraleKaart Pro

Coördinaten hoekpunten perceel

hsY j EbtHuz5p PG lUpgrade naar KadastraleKaart Pro

Hoogteligging

oNGD81FioelWmrE7ksSR TUpgrade naar KadastraleKaart Pro

Laatst gewijzigd

21/03/2025

Kadastrale kaart met maatvoering 59,95
Kadastrale kaart pakket 28,95

Percelen

Gebruik de zoekbalk of klik op een perceel om informatie over het perceel te bekijken.
Locatie
Meten
Lagen
Download