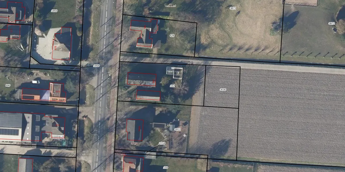
Perceel: HHG00-S-161

Adres bij perceel

Perceeloppervlakte & perceelomtrek

1.160 m2 - 147 m

Eigenaar van het perceel

Eigenaar opvragen

Kadastrale aanduiding

HHG00-S-161 (Heerhugowaard)

Postcode in perceel

    1704 BS

Type eigenaar

ZDxDniUWDcMGuqVDHLlcPcN 2Upgrade naar KadastraleKaart Pro

Google Street View

Bekijk op Street View

Download

Download DWG/DXF/Excel

Gerelateerde percelen

K9vGxSi6fU3Upgrade naar KadastraleKaart Pro

Bebouwd/onbebouwd/water/groen

M1NqI7yTUpgrade naar KadastraleKaart Pro
Administratieve eenheden
h3wli1KE8Upgrade naar KadastraleKaart Pro

Appartementsrechten

rIJP77sn Upgrade naar KadastraleKaart Pro

Vergunningverlenende instanties

syJkmAch4V1f9CMnThsSf5eUpgrade naar KadastraleKaart Pro

Bedekking (BGT)

KIunZJJlfze7ZpUpgrade naar KadastraleKaart Pro

Publiekrechtelijke beperkingen

0jD 3EO QRL1v376HulPNUpgrade naar KadastraleKaart Pro

Grensnauwkeurigheid

g q AnbRV3yUpgrade naar KadastraleKaart Pro

Coördinaten hoekpunten perceel

AlhJlCGU6YCLfZE1ycLd vUpgrade naar KadastraleKaart Pro

Hoogteligging

2vHzkco iuwX9eHWwUpgrade naar KadastraleKaart Pro

Laatst gewijzigd

15/09/2005

Kadastrale kaart met maatvoering 59,95
Kadastrale kaart pakket 28,95

Percelen

Gebruik de zoekbalk of klik op een perceel om informatie over het perceel te bekijken.
Locatie
Meten
Lagen
Download