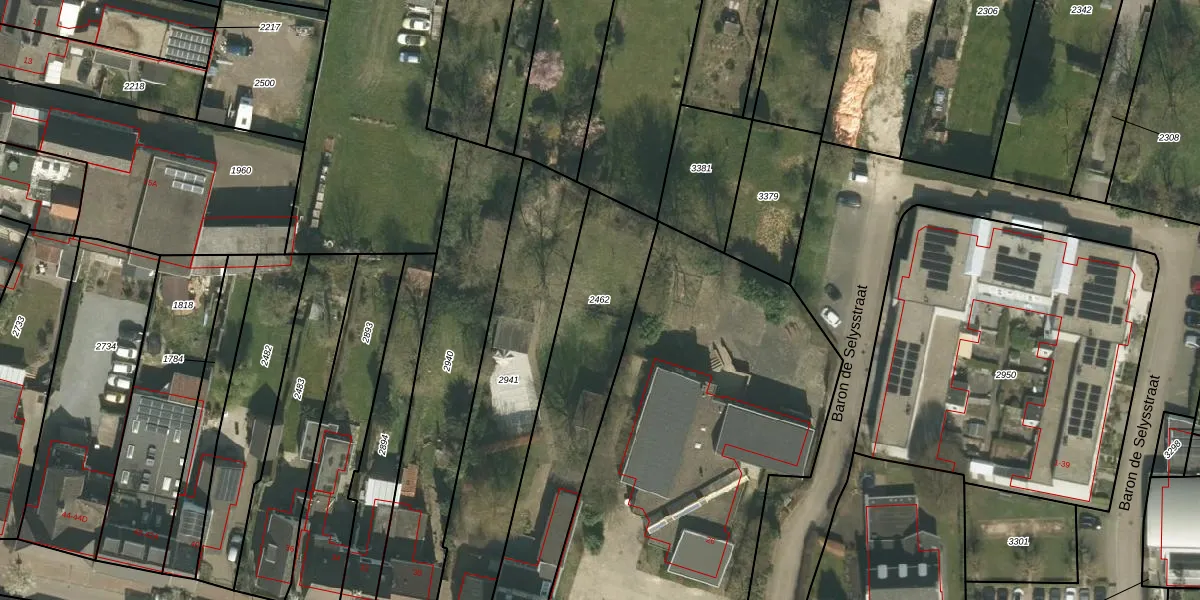
Perceel: HHM00-A-2462
KadastraleKaart.com kan meer dan je denktOntdek meer ›
Filter op bestemming 50+ datasets Eigendomsdata in één klik Percelen CRM
842 m2 - 178 m
Eigenaar opvragen
HHM00-A-2462 (Houthem)
- 6301 KB
tv v4T0Q3e0v8ym OUpgrade naar KadastraleKaart Pro
Verkoopprijs opvragen
Bekijk op Street View
Download DWG/DXF/Excel
kBFqTmGbjmTUpgrade naar KadastraleKaart Pro
qk 3 AN0sY1oQaBXes40Upgrade naar KadastraleKaart Pro
N2eV LEzZiE OUpgrade naar KadastraleKaart Pro
Ua xixgjsndTEUpgrade naar KadastraleKaart Pro
4 9suSzGm9 Ep XUpgrade naar KadastraleKaart Pro
h sxc1Q4ViUpgrade naar KadastraleKaart Pro
y4huReTiga8VUpgrade naar KadastraleKaart Pro
Q5P GIL SutbLDMUpgrade naar KadastraleKaart Pro
dM6 Y03x2fQ4 e6Upgrade naar KadastraleKaart Pro
Nsn N6ol8EUpgrade naar KadastraleKaart Pro
21/06/2011

Percelen
Gebruik de zoekbalk of klik op een perceel om informatie over het perceel te bekijken.