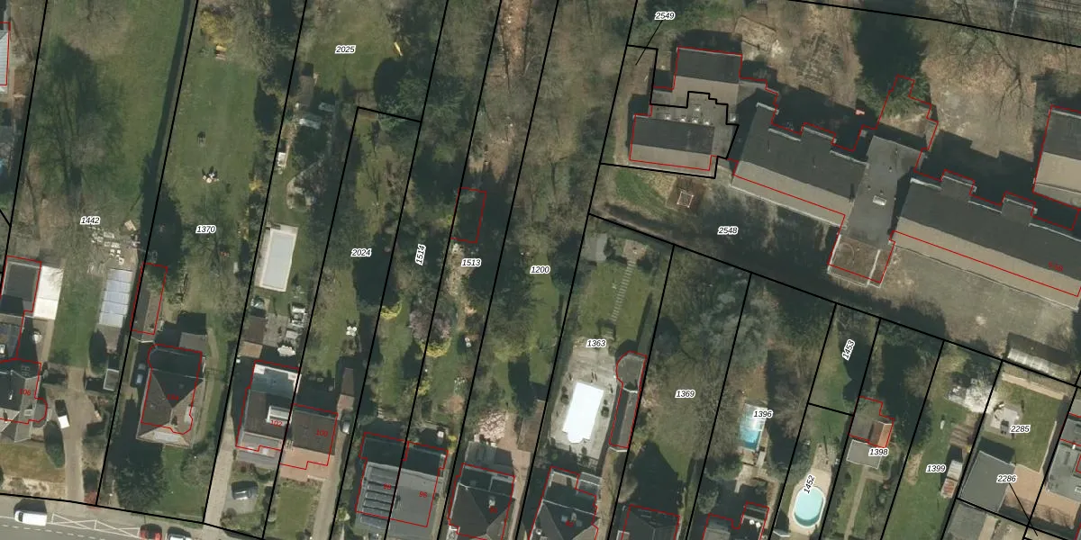
Perceel: HHM00-B-1200
KadastraleKaart.com kan meer dan je denktOntdek meer ›
Filter op bestemming 50+ datasets Eigendomsdata in één klik Percelen CRM
1.655 m2 - 267 m
Eigenaar opvragen
HHM00-B-1200 (Houthem)
- 6301 HK
1Xi9NujZcztQZpk s98gh82erUpgrade naar KadastraleKaart Pro
Verkoopprijs opvragen
Bekijk op Street View
Download DWG/DXF/Excel
29L7EoY AeHXCUpgrade naar KadastraleKaart Pro
ck0b5ZvnKJ Y OUpgrade naar KadastraleKaart Pro
EEW8JvqQwYtn1Upgrade naar KadastraleKaart Pro
t3MoNmhy0 D5I8cUpgrade naar KadastraleKaart Pro
aKRO1QwAPTV2Tt8bsUpgrade naar KadastraleKaart Pro
2dck1trEPyE2OoUpgrade naar KadastraleKaart Pro
BfsQ xPzv7v4 WPUpgrade naar KadastraleKaart Pro
0WMyUxoxsxg7hUpgrade naar KadastraleKaart Pro
yxLDbMceEmd3wIbGUpgrade naar KadastraleKaart Pro
AO5Mt1i V18XeA610ABs3Upgrade naar KadastraleKaart Pro
11/06/2012

Percelen
Gebruik de zoekbalk of klik op een perceel om informatie over het perceel te bekijken.