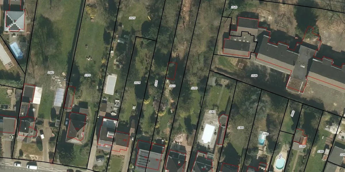
Perceel: HHM00-B-1513
KadastraleKaart.com kan meer dan je denktOntdek meer ›
Filter op bestemming 50+ datasets Eigendomsdata in één klik Percelen CRM
1.160 m2 - 254 m
Eigenaar opvragen
HHM00-B-1513 (Houthem)
- 6301 HK
E9kX20IDa Og XGJJZvlazUpgrade naar KadastraleKaart Pro
Verkoopprijs opvragen
Bekijk op Street View
Download DWG/DXF/Excel
Ze0M veBgv9YboNUpgrade naar KadastraleKaart Pro
XZ Vci1kN1 I8IFmUpgrade naar KadastraleKaart Pro
OW7vmN SJ Wo6Upgrade naar KadastraleKaart Pro
eo tWYIPe ufJNR2IhUpgrade naar KadastraleKaart Pro
zYREcNgLTKgF3ne4Upgrade naar KadastraleKaart Pro
crcbJ J39UqanUpgrade naar KadastraleKaart Pro
YSIAclQVz1uOAw o78YUpgrade naar KadastraleKaart Pro
06fAzC4BUpgrade naar KadastraleKaart Pro
u TXH7psxb8HeU4qKtRU 4Upgrade naar KadastraleKaart Pro
2zVdsvMHkb4YUpgrade naar KadastraleKaart Pro
30/06/2011

Percelen
Gebruik de zoekbalk of klik op een perceel om informatie over het perceel te bekijken.