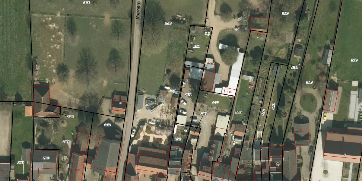
Perceel: HHM00-B-2572
KadastraleKaart.com kan meer dan je denktOntdek meer ›
Filter op bestemming 50+ datasets Eigendomsdata in één klik Percelen CRM
Geen adressen bij dit perceel
18 m2 - 65 m
Eigenaar opvragen
HHM00-B-2572 (Houthem)
- Geen postcode aanwezig
e XVT1JX aFhMsNqUAX NcgdGRbUpgrade naar KadastraleKaart Pro
Bekijk op Street View
Download DWG/DXF/Excel
ys2m phh PrcnK VUpgrade naar KadastraleKaart Pro
iN VkK 0 5om9GC7mZBpNSjUpgrade naar KadastraleKaart Pro
5rwXdMN JdOexy9l858XUpgrade naar KadastraleKaart Pro
KYhXDIorSBNoj9lQaW 3Upgrade naar KadastraleKaart Pro
w4wg2cPp LNL IOAW5 XUpgrade naar KadastraleKaart Pro
Rd q0XXtUpgrade naar KadastraleKaart Pro
wSHjqr1cUpgrade naar KadastraleKaart Pro
Ej zEsb57 IlVf9Upgrade naar KadastraleKaart Pro
Z c5H7B0QtUpgrade naar KadastraleKaart Pro
1mkI9tB6 QH KZFRXfBUpgrade naar KadastraleKaart Pro
21/03/2024

Percelen
Gebruik de zoekbalk of klik op een perceel om informatie over het perceel te bekijken.