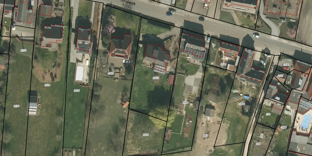
Perceel: HHM00-C-1613
KadastraleKaart.com kan meer dan je denktOntdek meer ›
Filter op bestemming 50+ datasets Eigendomsdata in één klik Percelen CRM
1.625 m2 - 173 m
Eigenaar opvragen
HHM00-C-1613 (Houthem)
- 6301 HP
jFJIAPHldQ6ztEPXpE3s0iBUpgrade naar KadastraleKaart Pro
Verkoopprijs opvragen
Bekijk op Street View
Download DWG/DXF/Excel
NTPRTpbXaJUpgrade naar KadastraleKaart Pro
AQHi8eRDyZLEBnO6Qp3Upgrade naar KadastraleKaart Pro
sp4HMPwVPw6 Y9pmxCwUpgrade naar KadastraleKaart Pro
zjNmrFFL8p7VUpgrade naar KadastraleKaart Pro
4BEIsPFi qUKDDUpgrade naar KadastraleKaart Pro
aXUrIivVqVIvGbm8 Upgrade naar KadastraleKaart Pro
lFG0X1 j B RB3Upgrade naar KadastraleKaart Pro
8OXsd5VB3uVwd oUSWUpgrade naar KadastraleKaart Pro
T5EceupLtF V0 azxUpgrade naar KadastraleKaart Pro
WaJ7KZymf zxBmYogvUpgrade naar KadastraleKaart Pro
30/06/2011

Percelen
Gebruik de zoekbalk of klik op een perceel om informatie over het perceel te bekijken.