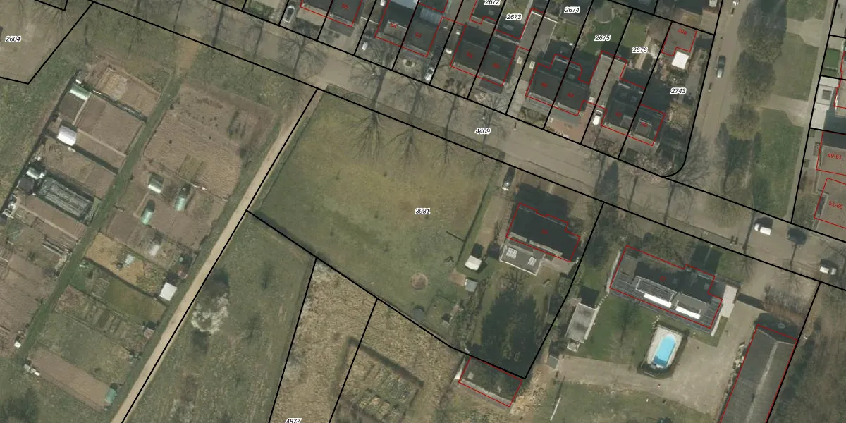
Perceel: HHS00-C-3981
KadastraleKaart.com kan meer dan je denktOntdek meer ›
Filter op bestemming 50+ datasets Eigendomsdata in één klik Percelen CRM
2.965 m2 - 229 m
Eigenaar opvragen
HHS00-C-3981 (Heythuysen)
- 6093 AT
01jGEJKgVyDeFvfOUpgrade naar KadastraleKaart Pro
Verkoopprijs opvragen
Bekijk op Street View
Download DWG/DXF/Excel
knQEyL8A ViPQUpgrade naar KadastraleKaart Pro
J3t0lp TNJOAfnUpgrade naar KadastraleKaart Pro
uwll46gVgbqUUpgrade naar KadastraleKaart Pro
F tvCUWKShs83 W1SKhL sUpgrade naar KadastraleKaart Pro
kZ04pcfniYb6g6HGtUpgrade naar KadastraleKaart Pro
A XB 7Smr1uwkKM ma78o SUpgrade naar KadastraleKaart Pro
ftz6JTxujgPSUZbtni Upgrade naar KadastraleKaart Pro
sCi t3 MUpgrade naar KadastraleKaart Pro
VShLGE87QUpgrade naar KadastraleKaart Pro
AbZs 0 cUpgrade naar KadastraleKaart Pro
07/05/2012

Percelen
Gebruik de zoekbalk of klik op een perceel om informatie over het perceel te bekijken.