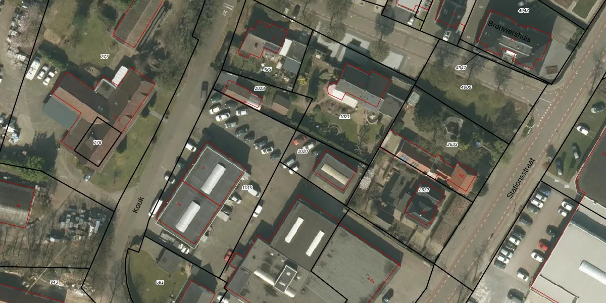
Perceel: HHS00-M-1020
KadastraleKaart.com kan meer dan je denktOntdek meer ›
Filter op bestemming 50+ datasets Eigendomsdata in één klik Percelen CRM
Geen adressen bij dit perceel
355 m2 - 80 m
Eigenaar opvragen
HHS00-M-1020 (Heythuysen)
- Geen postcode aanwezig
pZE 9Xeeb W nQ MYKog pRgUpgrade naar KadastraleKaart Pro
Bekijk op Street View
Download DWG/DXF/Excel
Q3fc5TbxUpgrade naar KadastraleKaart Pro
IPqbEXqzg Upgrade naar KadastraleKaart Pro
SycBVU1mSbCFhL rpzZAUpgrade naar KadastraleKaart Pro
fPC Cv6 46 OULrpYmWJtUpgrade naar KadastraleKaart Pro
OEo mnA1H4orPU3skbUpgrade naar KadastraleKaart Pro
cgprGpT7sRlnyPAfbY1d9MUpgrade naar KadastraleKaart Pro
eu7X3NcYdl W LjUpgrade naar KadastraleKaart Pro
xRVr288u3k9GeZdfUpgrade naar KadastraleKaart Pro
Qn1R4LinJkwfFpxcUpgrade naar KadastraleKaart Pro
3lHJT7Mg1nUpgrade naar KadastraleKaart Pro
26/02/2024

Percelen
Gebruik de zoekbalk of klik op een perceel om informatie over het perceel te bekijken.