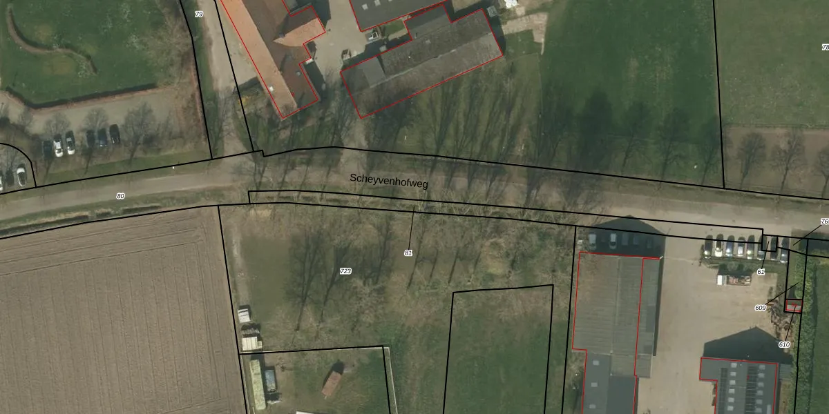
Perceel: HHS00-M-81
KadastraleKaart.com kan meer dan je denktOntdek meer ›
Filter op bestemming 50+ datasets Eigendomsdata in één klik Percelen CRM
Geen adressen bij dit perceel
400 m2 - 255 m
Eigenaar opvragen
HHS00-M-81 (Heythuysen)
- Geen postcode aanwezig
kje31IwyqgKbYKkHNUpgrade naar KadastraleKaart Pro
Bekijk op Street View
Download DWG/DXF/Excel
U32jPVdXUpgrade naar KadastraleKaart Pro
QT y7nsepjoAWJa9FYjUpgrade naar KadastraleKaart Pro
fV0Jm2L MMIsUpgrade naar KadastraleKaart Pro
RSZQm vE2JXLJCNVN2bUpgrade naar KadastraleKaart Pro
3LD1bs Kp4ByoXEmAokUpgrade naar KadastraleKaart Pro
3CtyNr hI r5UUpgrade naar KadastraleKaart Pro
9OwDQjw08rF mW vbdhUpgrade naar KadastraleKaart Pro
p rp1U7gt3 Fc m r0VUpgrade naar KadastraleKaart Pro
KLfmm cXly2KarkUpgrade naar KadastraleKaart Pro
F4c4BZADjAb K1b6S Upgrade naar KadastraleKaart Pro
14/01/2009

Percelen
Gebruik de zoekbalk of klik op een perceel om informatie over het perceel te bekijken.