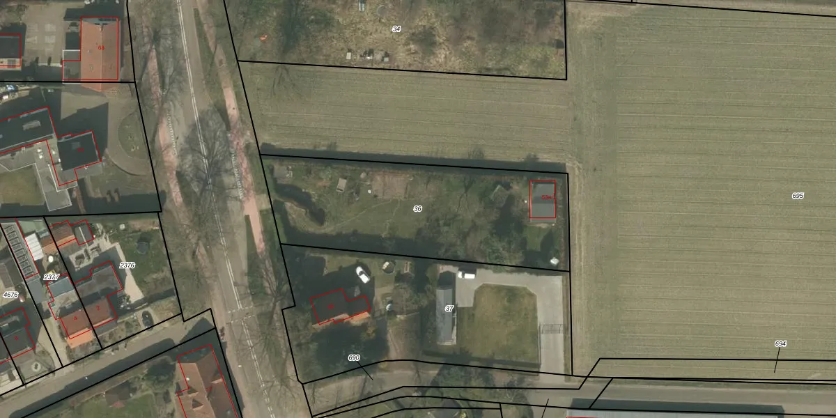
Perceel: HHS00-N-36
KadastraleKaart.com kan meer dan je denktOntdek meer ›
Filter op bestemming 50+ datasets Eigendomsdata in één klik Percelen CRM
1.590 m2 - 189 m
Eigenaar opvragen
HHS00-N-36 (Heythuysen)
- 6093 AC
mGyRulPJanJcXP1E KwMI qtOR3XUpgrade naar KadastraleKaart Pro
Bekijk op Street View
Download DWG/DXF/Excel
uHYb LfwNH3lVJLNkpvFlUpgrade naar KadastraleKaart Pro
M45NnjHtTbfVe9siUpgrade naar KadastraleKaart Pro
ZYASrhG6l6bae21yOUpgrade naar KadastraleKaart Pro
L 2Jn 0wscm8Upgrade naar KadastraleKaart Pro
A IHjpYDtz756boo2weS7SUpgrade naar KadastraleKaart Pro
mMqRrEpZwGS3Upgrade naar KadastraleKaart Pro
KJZ5P YTLa NwO41aUpgrade naar KadastraleKaart Pro
GvuSW8xW Scef2PF3qkw6TfUpgrade naar KadastraleKaart Pro
vpg CQMfbLchtcUpgrade naar KadastraleKaart Pro
KNUIVzEkyNQVbw4B wJpQUpgrade naar KadastraleKaart Pro
03/03/2009

Percelen
Gebruik de zoekbalk of klik op een perceel om informatie over het perceel te bekijken.