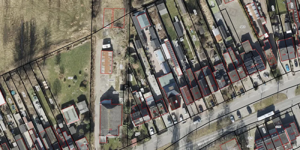
Perceel: HKK02-C-3421
435 m2 - 167 m
Eigenaar opvragen
HKK02-C-3421 (Hoogkerk)
- 9744 BB
hjO41bzjbnOuQeW1qz8 4eWIBWDJ2Upgrade naar KadastraleKaart Pro
Verkoopprijs opvragen
Bekijk op Street View
Download DWG/DXF/Excel
kARtzDBuTmYu hgvUpgrade naar KadastraleKaart Pro
ef0iG2hM J0d1f4QCuDgUpgrade naar KadastraleKaart Pro
zcb2EP8wUyh0pTdTUpgrade naar KadastraleKaart Pro
usm8zEV8b fLTZcRloUpgrade naar KadastraleKaart Pro
Ph6sBSCuw Zxy60WcUpgrade naar KadastraleKaart Pro
cC8bFon6u7F BpMZpUpgrade naar KadastraleKaart Pro
DL6ic9rUdUoyId5j09TUpgrade naar KadastraleKaart Pro
2SyfsLpmUpgrade naar KadastraleKaart Pro
ECUn3 Ik7Ph2DEUs1TdSIVUpgrade naar KadastraleKaart Pro
eclJp bNn4lMbPxvUpgrade naar KadastraleKaart Pro
24/04/2003

Percelen
Gebruik de zoekbalk of klik op een perceel om informatie over het perceel te bekijken.