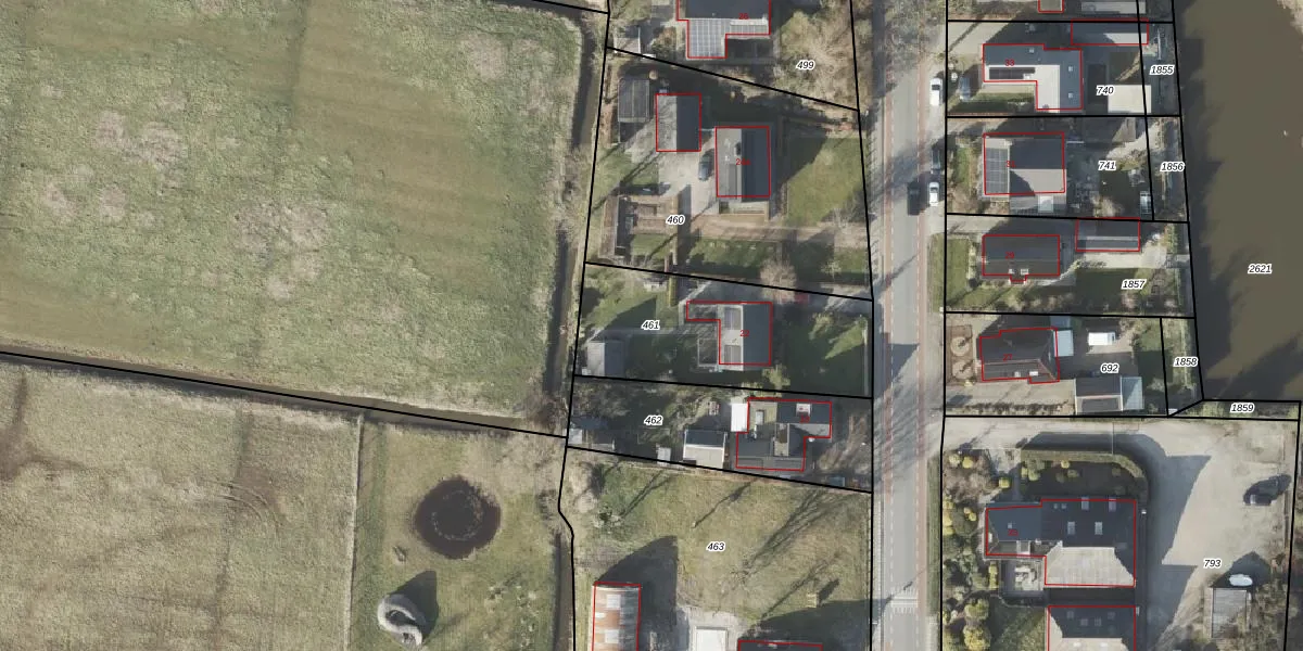
Perceel: HKK02-E-461
KadastraleKaart.com kan meer dan je denktOntdek meer ›
Filter op bestemming 50+ datasets Eigendomsdata in één klik Percelen CRM
800 m2 - 123 m
Eigenaar opvragen
HKK02-E-461 (Hoogkerk)
- 9746 TC
yZcV4wdRZ3bE0o BiP lI5cbHWyBJMUpgrade naar KadastraleKaart Pro
Bekijk op Street View
Download DWG/DXF/Excel
8DYxrrAMz zWaUpgrade naar KadastraleKaart Pro
Cadjq 3Cp QDdGvUpgrade naar KadastraleKaart Pro
1LYR tz7 dBFwCuPAx Upgrade naar KadastraleKaart Pro
raZW6MKVUpgrade naar KadastraleKaart Pro
j yze uGfw Upgrade naar KadastraleKaart Pro
V7pZ43BOLoJI6pkosNHUpgrade naar KadastraleKaart Pro
ay5Z6s3T kdRsRoCI Upgrade naar KadastraleKaart Pro
Atgomjq zSQr5SoUpgrade naar KadastraleKaart Pro
dfHRKaj5ZHTwh1GinPKtUpgrade naar KadastraleKaart Pro
Oh6A6ayx m yPvypvo8rHUpgrade naar KadastraleKaart Pro
11/03/2005

Percelen
Gebruik de zoekbalk of klik op een perceel om informatie over het perceel te bekijken.