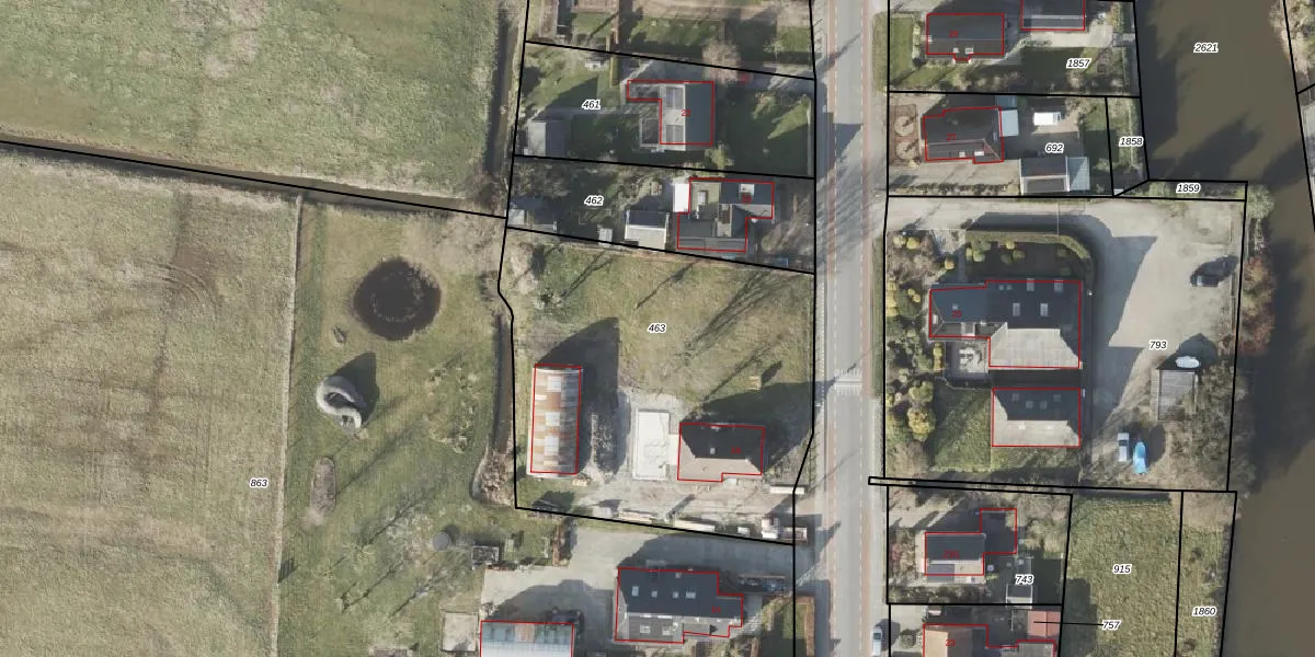
Perceel: HKK02-E-463
KadastraleKaart.com kan meer dan je denktOntdek meer ›
Filter op bestemming 50+ datasets Eigendomsdata in één klik Percelen CRM
1.780 m2 - 175 m
Eigenaar opvragen
HKK02-E-463 (Hoogkerk)
- 9746 TC
wE70 zNawTh WAakcUpgrade naar KadastraleKaart Pro
Bekijk op Street View
Download DWG/DXF/Excel
lvzVtMHVUpgrade naar KadastraleKaart Pro
VGGnwqTX98rfUpgrade naar KadastraleKaart Pro
rZdplG2cIQUpgrade naar KadastraleKaart Pro
gB XE zXY1 0TXDkTIieUpgrade naar KadastraleKaart Pro
NO8NJIxPX3Upgrade naar KadastraleKaart Pro
NLMuWRIba8gzjv3Upgrade naar KadastraleKaart Pro
j n8gTW3QiWmKUpgrade naar KadastraleKaart Pro
Guhb7mc IuaSEygt3nDPUpgrade naar KadastraleKaart Pro
gSq5T u4WAMuUpgrade naar KadastraleKaart Pro
P 8udIcdTJUpgrade naar KadastraleKaart Pro
11/03/2005

Percelen
Gebruik de zoekbalk of klik op een perceel om informatie over het perceel te bekijken.