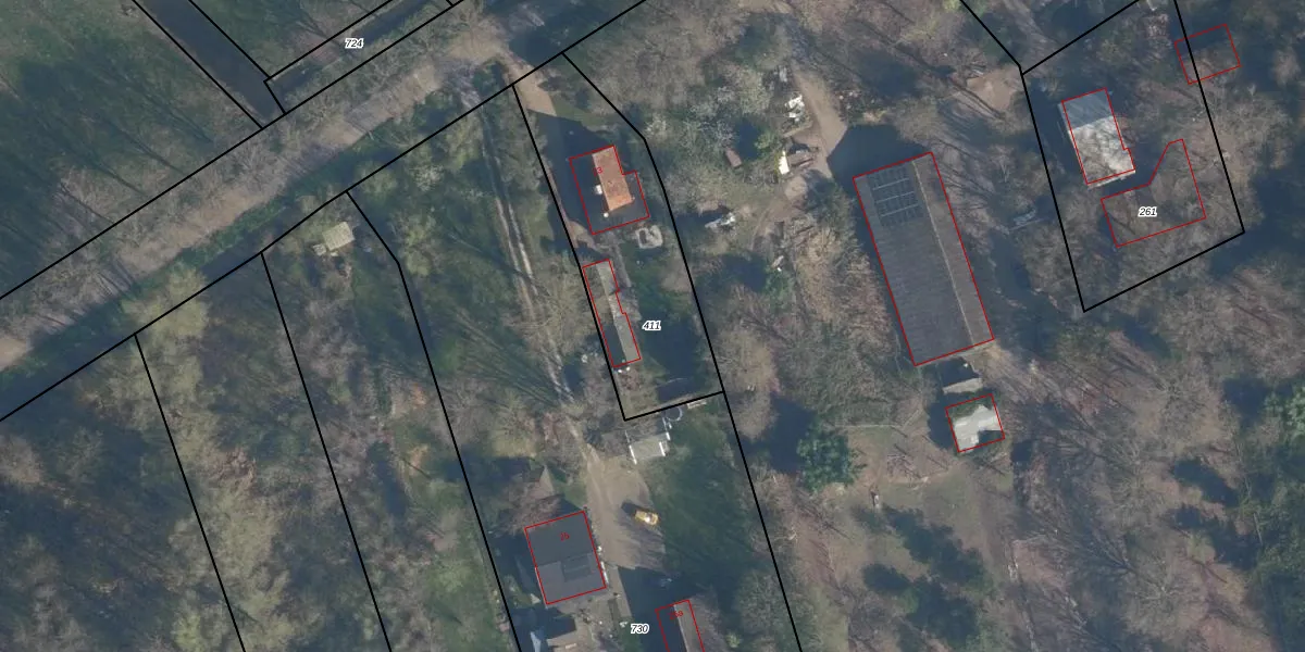
Perceel: HKL00-D-411
KadastraleKaart.com kan meer dan je denktOntdek meer ›
Filter op bestemming 50+ datasets Eigendomsdata in één klik Percelen CRM
830 m2 - 138 m
Eigenaar opvragen
HKL00-D-411 (Heukelum)
- 4161 AD
H6WdyvzI C6q9 N DB2U8wKs hUpgrade naar KadastraleKaart Pro
Verkoopprijs opvragen
Bekijk op Street View
Download DWG/DXF/Excel
d5UfLk1LBn AewEn aqDwUpgrade naar KadastraleKaart Pro
U79V6ynKbq Upgrade naar KadastraleKaart Pro
kZ 6W PG9eMU8IQwSxjUpgrade naar KadastraleKaart Pro
aJkdSeGHUpgrade naar KadastraleKaart Pro
rSIPgfmzL qCHL OTUpgrade naar KadastraleKaart Pro
ZwFSx oNJlM GbOO8xxJlzUpgrade naar KadastraleKaart Pro
YpBa Sc5lbkov1l 23Upgrade naar KadastraleKaart Pro
F kloYfmM79yFUpgrade naar KadastraleKaart Pro
r16aiQmF EUpgrade naar KadastraleKaart Pro
z d05bV MJ5nbNDFB OUpgrade naar KadastraleKaart Pro
01/10/2001

Percelen
Gebruik de zoekbalk of klik op een perceel om informatie over het perceel te bekijken.