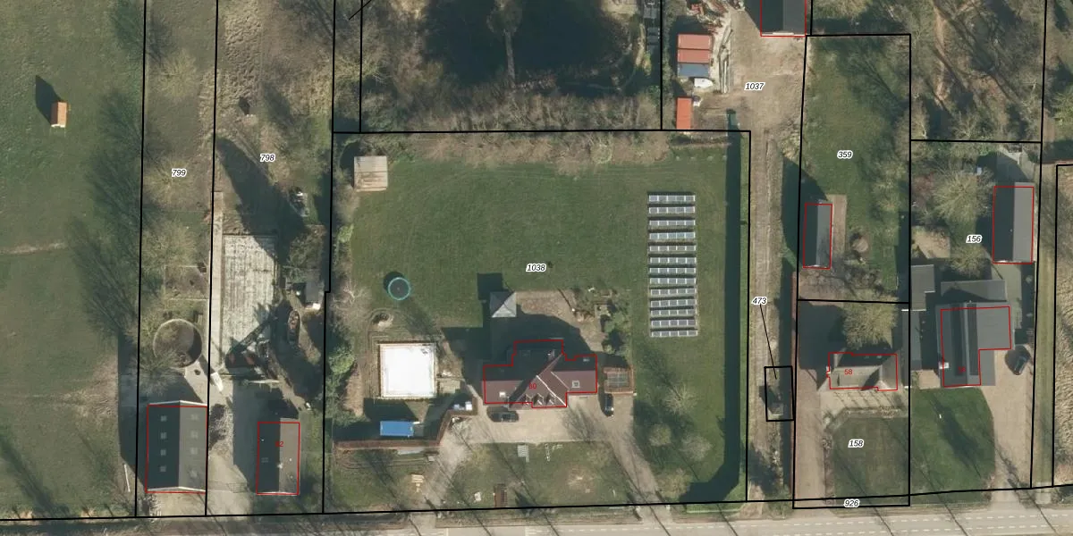
Perceel: HKL00-E-1038
KadastraleKaart.com kan meer dan je denktOntdek meer ›
Filter op bestemming 50+ datasets Eigendomsdata in één klik Percelen CRM
5.475 m2 - 298 m
Eigenaar opvragen
HKL00-E-1038 (Heukelum)
- 4211 CZ
kBGEZ0Fluqz2LscdEPXVaI uTQtUo3pUpgrade naar KadastraleKaart Pro
Verkoopprijs opvragen
Bekijk op Street View
Download DWG/DXF/Excel
1G744Bo 1mu1bDdWUpgrade naar KadastraleKaart Pro
M gWAuMns25FfFUpgrade naar KadastraleKaart Pro
mpKVwhgG xuM1HdN6PC02Upgrade naar KadastraleKaart Pro
nhTz yUcw SEPkumRzUpgrade naar KadastraleKaart Pro
F vekEqvFGuQ2 fNUpgrade naar KadastraleKaart Pro
3p7FX7uDNUpgrade naar KadastraleKaart Pro
BwfSMrzV3YUpgrade naar KadastraleKaart Pro
yL5 VmfW2iZ0cM5MAUpgrade naar KadastraleKaart Pro
z9Z621ufHw 0b 06QcaUpgrade naar KadastraleKaart Pro
Z4LVt2VEjilTVIOHfIORRGUpgrade naar KadastraleKaart Pro
31/08/2022

Percelen
Gebruik de zoekbalk of klik op een perceel om informatie over het perceel te bekijken.