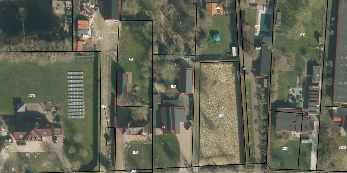
Perceel: HKL00-E-156
KadastraleKaart.com kan meer dan je denktOntdek meer ›
Filter op bestemming 50+ datasets Eigendomsdata in één klik Percelen CRM
1.520 m2 - 178 m
Eigenaar opvragen
HKL00-E-156 (Heukelum)
- 4211 CZ
a lxr KiF6OXY7t7WGZrE5 tj1wGrUpgrade naar KadastraleKaart Pro
Verkoopprijs opvragen
Bekijk op Street View
Download DWG/DXF/Excel
HUzJ9sL0rSwdCvhQHxUpgrade naar KadastraleKaart Pro
gCwShiQ3zesUgUpgrade naar KadastraleKaart Pro
8iA 5VACCL1iUpgrade naar KadastraleKaart Pro
wE9AYdj7OwoFc KYtbwUpgrade naar KadastraleKaart Pro
7ej1Un8BO6 Wt6VuMnToUpgrade naar KadastraleKaart Pro
cDsnOaDhaSlfVGvXpU7 tnUpgrade naar KadastraleKaart Pro
6giDKYGa8oG ZxeQUpgrade naar KadastraleKaart Pro
OFo9mL3075aUpgrade naar KadastraleKaart Pro
9ilwX4QTqflQPhA4Upgrade naar KadastraleKaart Pro
NKCn OSNydngcm gdmUpgrade naar KadastraleKaart Pro
28/01/2004

Percelen
Gebruik de zoekbalk of klik op een perceel om informatie over het perceel te bekijken.