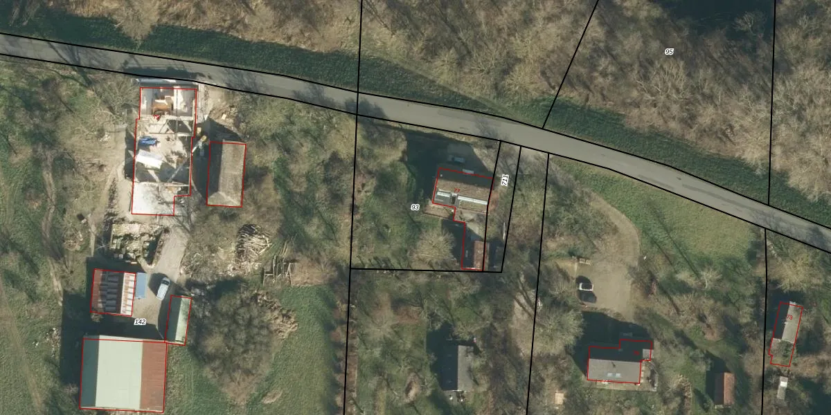
Perceel: HKL00-E-93
KadastraleKaart.com kan meer dan je denktOntdek meer ›
Filter op bestemming 50+ datasets Eigendomsdata in één klik Percelen CRM
1.135 m2 - 136 m
Eigenaar opvragen
HKL00-E-93 (Heukelum)
- 4211 BA
EdYc EuTeji ggFnDiQyV 2 YoEUmyUpgrade naar KadastraleKaart Pro
Verkoopprijs opvragen
Bekijk op Street View
Download DWG/DXF/Excel
HvheiEpaBWph34q 6hhBhyOUpgrade naar KadastraleKaart Pro
ZHfNrlG0Upgrade naar KadastraleKaart Pro
ODg e4g51npGdFUpgrade naar KadastraleKaart Pro
76xHgsI7a4caT2yGdRiUpgrade naar KadastraleKaart Pro
LNe5J HdknNfAaUpgrade naar KadastraleKaart Pro
NwLaS6xtvltcwQ8Zz2Upgrade naar KadastraleKaart Pro
ZGDzYgayNuKXBLrfERQUpgrade naar KadastraleKaart Pro
tGOOOE0CIxEPaTwoSQeyUpgrade naar KadastraleKaart Pro
UxqUNJUB95Qnynw LUpgrade naar KadastraleKaart Pro
Qcagjm6AUpgrade naar KadastraleKaart Pro
15/05/2002

Percelen
Gebruik de zoekbalk of klik op een perceel om informatie over het perceel te bekijken.