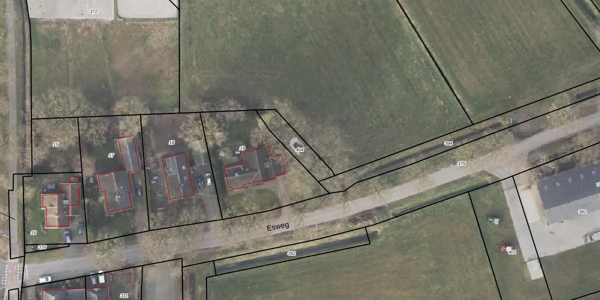
Perceel: HLD01-AB-404
KadastraleKaart.com kan meer dan je denktOntdek meer ›
Filter op bestemming 50+ datasets Eigendomsdata in één klik Percelen CRM
Geen adressen bij dit perceel
182 m2 - 74 m
Eigenaar opvragen
HLD01-AB-404 (Hellendoorn)
- Geen postcode aanwezig
7yccML5Lf3VveqkLx qQtT2hq0hlUpgrade naar KadastraleKaart Pro
Bekijk op Street View
Download DWG/DXF/Excel
x988eFvlHFiyvJ 2 JUpgrade naar KadastraleKaart Pro
BDU2W0xj6Gd2y7rwnUpgrade naar KadastraleKaart Pro
rC09MoS6i70OxMxUpgrade naar KadastraleKaart Pro
SoTAEzRlUpgrade naar KadastraleKaart Pro
GUWdU86 Upgrade naar KadastraleKaart Pro
CQ CKqYWuhzBCAhB hE9Upgrade naar KadastraleKaart Pro
703aKwYLMKbiYEC3pUpgrade naar KadastraleKaart Pro
8bT94KX DyxY2 bQwxAUpgrade naar KadastraleKaart Pro
W es6KqARZqQ pIlUpgrade naar KadastraleKaart Pro
6ZT uLsPpq2J IWLUpgrade naar KadastraleKaart Pro
08/12/2021

Percelen
Gebruik de zoekbalk of klik op een perceel om informatie over het perceel te bekijken.