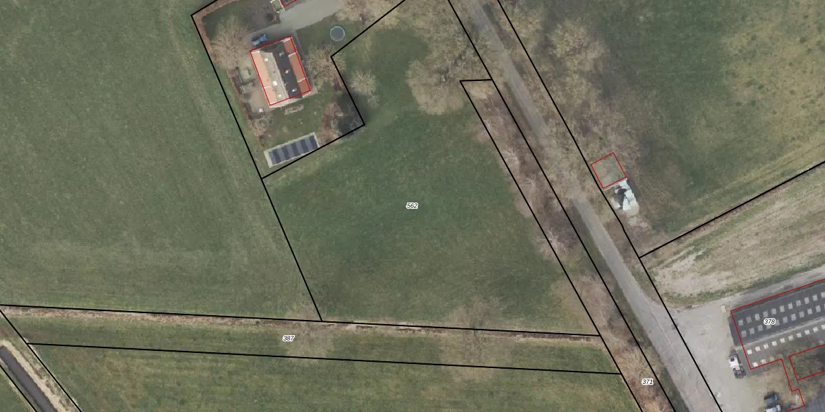
Perceel: HLD01-AC-562

Adres bij perceel

Geen adressen bij dit perceel

Perceeloppervlakte & perceelomtrek

3.770 m2 - 291 m

Eigenaar van het perceel

Eigenaar opvragen

Kadastrale aanduiding

HLD01-AC-562 (Hellendoorn)

Postcode in perceel

    Geen postcode aanwezig

Type eigenaar

mJmcHn6JZn3 7hNWqgRUpgrade naar KadastraleKaart Pro

Google Street View

Bekijk op Street View

Download

Download DWG/DXF/Excel

Gerelateerde percelen

sP2pKczPEYJ036DafpcJ0QUpgrade naar KadastraleKaart Pro

Bebouwd/onbebouwd/water/groen

eQg5pZknahe zFl0pblUpgrade naar KadastraleKaart Pro
Administratieve eenheden
V6VXntsbTWrYw4gVHReUpgrade naar KadastraleKaart Pro

Appartementsrechten

GQ3VpDd0H 7 NL Upgrade naar KadastraleKaart Pro

Vergunningverlenende instanties

N01N rmDUpgrade naar KadastraleKaart Pro

Bedekking (BGT)

r4ZM c4RZUpgrade naar KadastraleKaart Pro

Publiekrechtelijke beperkingen

Q f5LiX5DUpgrade naar KadastraleKaart Pro

Grensnauwkeurigheid

0HGfJ a9HpG3DxwY49Upgrade naar KadastraleKaart Pro

Coördinaten hoekpunten perceel

poVC1F9Y7qT7HzZCMjdGTjPUpgrade naar KadastraleKaart Pro

Hoogteligging

boQmfuFidQ 4TmN9zKmV0Upgrade naar KadastraleKaart Pro

Laatst gewijzigd

17/11/2004

Kadastrale kaart met maatvoering 59,95
Kadastrale kaart pakket 28,95

Percelen

Gebruik de zoekbalk of klik op een perceel om informatie over het perceel te bekijken.
Locatie
Meten
Lagen
Download