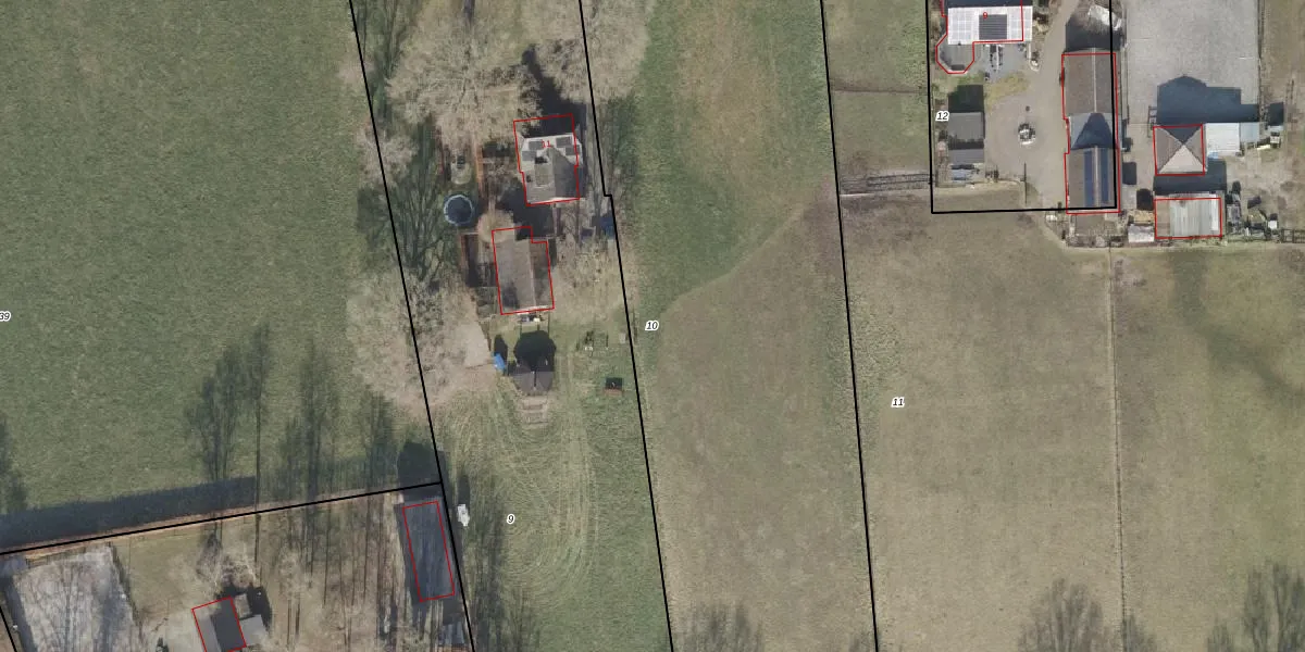
Perceel: HLD01-AD-10
KadastraleKaart.com kan meer dan je denktOntdek meer ›
Filter op bestemming 50+ datasets Eigendomsdata in één klik Percelen CRM
Geen adressen bij dit perceel
5.780 m2 - 415 m
Eigenaar opvragen
HLD01-AD-10 (Hellendoorn)
- Geen postcode aanwezig
kSUOKa oFNvIadtW p5X9r x1KLUpgrade naar KadastraleKaart Pro
Bekijk op Street View
Download DWG/DXF/Excel
wBNyh erjUpgrade naar KadastraleKaart Pro
nLQoYHoGICrDL6azUpgrade naar KadastraleKaart Pro
qV ROVkQpU 1Bpwf kmiAWUpgrade naar KadastraleKaart Pro
PHgN7 lS7rWaJNn1vlUpgrade naar KadastraleKaart Pro
QTTgy MhA mDB7VVQ1aUpgrade naar KadastraleKaart Pro
nDZ88 ahtCq07H1Ne1dUpgrade naar KadastraleKaart Pro
LP QfhN1O WB 5ujSsQOUpgrade naar KadastraleKaart Pro
Xrffa0XSaVs4k zwOPIKUpgrade naar KadastraleKaart Pro
AZKfRSlUUpgrade naar KadastraleKaart Pro
lrKUU1tvLllK TS3Zb Upgrade naar KadastraleKaart Pro
26/03/2013

Percelen
Gebruik de zoekbalk of klik op een perceel om informatie over het perceel te bekijken.