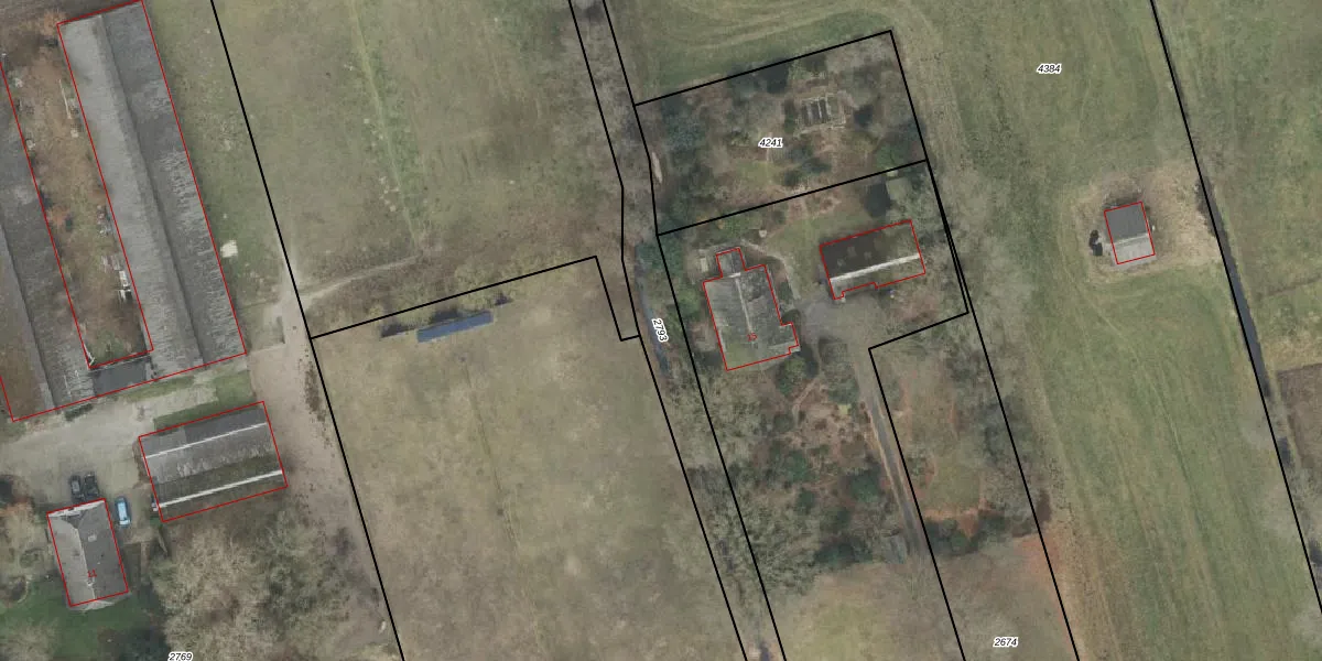
Perceel: HLD01-B-2793
KadastraleKaart.com kan meer dan je denktOntdek meer ›
Filter op bestemming 50+ datasets Eigendomsdata in één klik Percelen CRM
Geen adressen bij dit perceel
1.616 m2 - 629 m
Eigenaar opvragen
HLD01-B-2793 (Hellendoorn)
- Geen postcode aanwezig
U9If Z 2 yHT sndwKyr7JR9wzbEtUpgrade naar KadastraleKaart Pro
Bekijk op Street View
Download DWG/DXF/Excel
gVNAF0Oz8GsXv Upgrade naar KadastraleKaart Pro
6CN 49GPM9Upgrade naar KadastraleKaart Pro
m9Th7Hmp3Upgrade naar KadastraleKaart Pro
ClB1wmO7HiAaJUpgrade naar KadastraleKaart Pro
89D0fD8N7odFxKWKuFIIoUpgrade naar KadastraleKaart Pro
SEm XF4pF LUpgrade naar KadastraleKaart Pro
rnNCy pe0T3ACQuw nrEO7XUpgrade naar KadastraleKaart Pro
PvLfoDLF7lSpc3koFUpgrade naar KadastraleKaart Pro
DTEDeeOHa1LRHVUpgrade naar KadastraleKaart Pro
ZU rracQI8Upgrade naar KadastraleKaart Pro
14/07/2009

Percelen
Gebruik de zoekbalk of klik op een perceel om informatie over het perceel te bekijken.