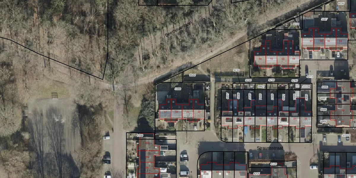
Perceel: HLD01-N-5988
KadastraleKaart.com kan meer dan je denktOntdek meer ›
Filter op bestemming 50+ datasets Eigendomsdata in één klik Percelen CRM
751 m2 - 109 m
Eigenaar opvragen
HLD01-N-5988 (Hellendoorn)
- 7442 JV
T9 ljjWYfr d 2xImrDt rw9YtlxuiZUpgrade naar KadastraleKaart Pro
Bekijk op Street View
Download DWG/DXF/Excel
nnkvQ G Xt0V33JXCvPRUpgrade naar KadastraleKaart Pro
b 2je yKfu Upgrade naar KadastraleKaart Pro
4Yn BVcDUb6JTpEBtzUpgrade naar KadastraleKaart Pro
EE7sO8tyWUpgrade naar KadastraleKaart Pro
BHBbv S35yjEUGUpgrade naar KadastraleKaart Pro
9NzcZUshjTX0VKJR2Upgrade naar KadastraleKaart Pro
VoGC5IJm1KP 0h2yyMOFC0Upgrade naar KadastraleKaart Pro
al3WVGu3PiaxUpgrade naar KadastraleKaart Pro
qQeqS6UHUpgrade naar KadastraleKaart Pro
kbUDHSlEUpgrade naar KadastraleKaart Pro
03/07/2008

Percelen
Gebruik de zoekbalk of klik op een perceel om informatie over het perceel te bekijken.