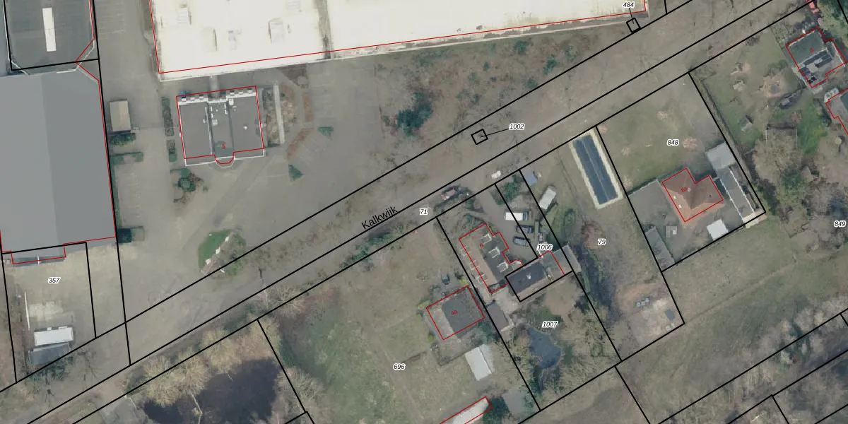
Perceel: HLD01-O-71
KadastraleKaart.com kan meer dan je denktOntdek meer ›
Filter op bestemming 50+ datasets Eigendomsdata in één klik Percelen CRM
Geen adressen bij dit perceel
1.850 m2 - 775 m
Eigenaar opvragen
HLD01-O-71 (Hellendoorn)
- Geen postcode aanwezig
K2 kCuZanBvNHdoWUpgrade naar KadastraleKaart Pro
Bekijk op Street View
Download DWG/DXF/Excel
tLD8ls 8jGP4 S12ygkcUpgrade naar KadastraleKaart Pro
oHCfbp4vcI5nv7tHNUpgrade naar KadastraleKaart Pro
2pAk3lcC1n5z V Upgrade naar KadastraleKaart Pro
xacrIaBWXdqDO92aUpgrade naar KadastraleKaart Pro
oA 0GQqWtD KUpgrade naar KadastraleKaart Pro
mpGGtrvk rcoYM ppMVyUpgrade naar KadastraleKaart Pro
WR NYM zQ3 PHyvkUpgrade naar KadastraleKaart Pro
qMy6MczgN jygH0eUwh7Tx Upgrade naar KadastraleKaart Pro
uVlhfiw 46mfJCUpgrade naar KadastraleKaart Pro
BOQA6ib4IeEGEeAeJ gJVPUpgrade naar KadastraleKaart Pro
15/07/2003

Percelen
Gebruik de zoekbalk of klik op een perceel om informatie over het perceel te bekijken.