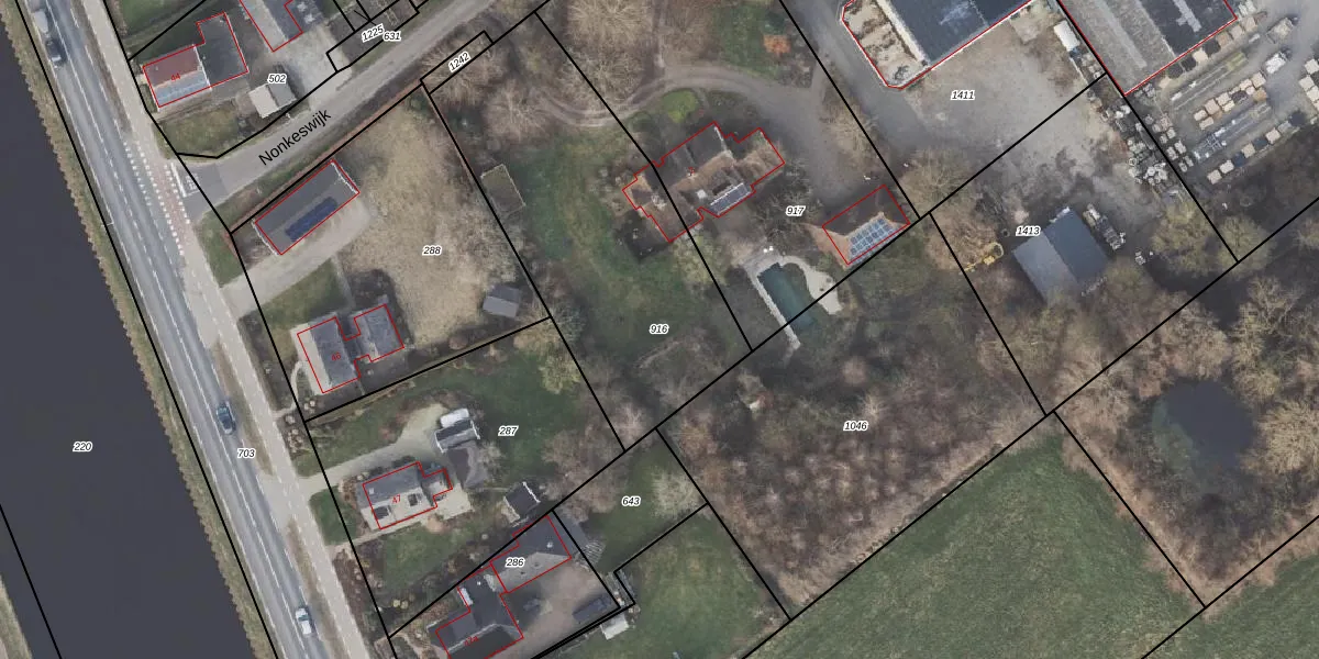
Perceel: HLD01-O-916
KadastraleKaart.com kan meer dan je denktOntdek meer ›
Filter op bestemming 50+ datasets Eigendomsdata in één klik Percelen CRM
Geen adressen bij dit perceel
1.450 m2 - 168 m
Eigenaar opvragen
HLD01-O-916 (Hellendoorn)
- Geen postcode aanwezig
yEy5mYg26rEB arUpgrade naar KadastraleKaart Pro
Bekijk op Street View
Download DWG/DXF/Excel
iEJce MsfQqJzuUpgrade naar KadastraleKaart Pro
FbRHPXZjq79pFhMUpgrade naar KadastraleKaart Pro
N rxGCXtLd Upgrade naar KadastraleKaart Pro
XKh2GeqaSGEcyUpgrade naar KadastraleKaart Pro
wK11 P0C0b7P7Upgrade naar KadastraleKaart Pro
PzHKyyjuSz ZYj pk5Upgrade naar KadastraleKaart Pro
SXnLiIowbT dcUpgrade naar KadastraleKaart Pro
daQkfV RfUpgrade naar KadastraleKaart Pro
8u5 yMZFq PVE4aUpgrade naar KadastraleKaart Pro
7zh xd PMlGMHj1 2vUpgrade naar KadastraleKaart Pro
25/08/2017

Percelen
Gebruik de zoekbalk of klik op een perceel om informatie over het perceel te bekijken.