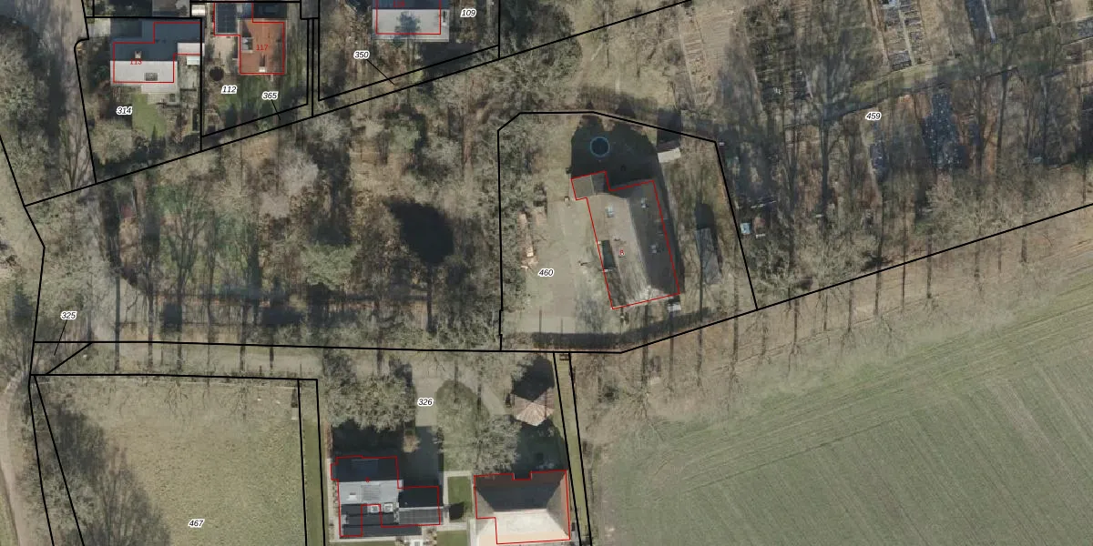
Perceel: HLD01-P-460
KadastraleKaart.com kan meer dan je denktOntdek meer ›
Filter op bestemming 50+ datasets Eigendomsdata in één klik Percelen CRM
1.750 m2 - 163 m
Eigenaar opvragen
HLD01-P-460 (Hellendoorn)
- 7442 GZ
lAbpvXqhEjl6A5ELggDFSpUpgrade naar KadastraleKaart Pro
Verkoopprijs opvragen
Bekijk op Street View
Download DWG/DXF/Excel
WwjAPqOismaE9fO1R Upgrade naar KadastraleKaart Pro
kzpFUKFF l gaUpgrade naar KadastraleKaart Pro
ZiN 4rCa Upgrade naar KadastraleKaart Pro
8 sKFrIt6X34 TQ6HE 2BiUpgrade naar KadastraleKaart Pro
Eo9 7r4yk qeREIiQIyGyUpgrade naar KadastraleKaart Pro
tAajHfHo Upgrade naar KadastraleKaart Pro
4Wa ZRZyew4 gMuWoUpgrade naar KadastraleKaart Pro
fe2OBW0joT2zUpgrade naar KadastraleKaart Pro
g blBUXHwWS3Upgrade naar KadastraleKaart Pro
xtPFYu3cmu48OpUpgrade naar KadastraleKaart Pro
17/10/2022

Percelen
Gebruik de zoekbalk of klik op een perceel om informatie over het perceel te bekijken.