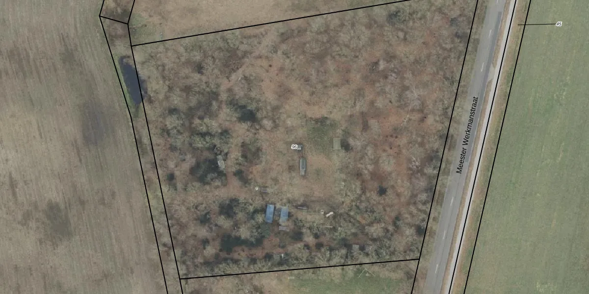
Perceel: HLD01-T-96
KadastraleKaart.com kan meer dan je denktOntdek meer ›
Filter op bestemming 50+ datasets Eigendomsdata in één klik Percelen CRM
Geen adressen bij dit perceel
8.541 m2 - 377 m
Eigenaar opvragen
HLD01-T-96 (Hellendoorn)
- Geen postcode aanwezig
9p910t P1 SnnPg1HKcUCXUpgrade naar KadastraleKaart Pro
Bekijk op Street View
Download DWG/DXF/Excel
pg235YZ9fDM6B g 8NFFUpgrade naar KadastraleKaart Pro
3ZAZzu3rVhUpgrade naar KadastraleKaart Pro
Nh4Lg7Lmf08 Uzm5j5FUpgrade naar KadastraleKaart Pro
5oqxxOZEb5saI ekUpgrade naar KadastraleKaart Pro
tah rEBfatZWxwuYHYfNA4PUpgrade naar KadastraleKaart Pro
isk1cMb aiEUpgrade naar KadastraleKaart Pro
e7tLJwZRUpgrade naar KadastraleKaart Pro
VKBNnsSkr2 IO6XkBPUpgrade naar KadastraleKaart Pro
vt5wyPrUpgrade naar KadastraleKaart Pro
2YUXs qzA1SiYxniaWWR1JUpgrade naar KadastraleKaart Pro
17/12/2004

Percelen
Gebruik de zoekbalk of klik op een perceel om informatie over het perceel te bekijken.