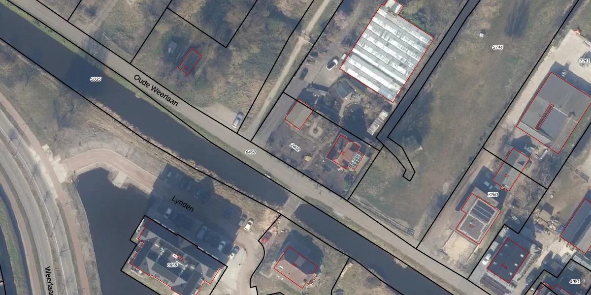
Perceel: HLG01-B-2402
KadastraleKaart.com kan meer dan je denktOntdek meer ›
Filter op bestemming 50+ datasets Eigendomsdata in één klik Percelen CRM
750 m2 - 117 m
Eigenaar opvragen
HLG01-B-2402 (Hillegom)
- 2181 HZ
o6xkpvcU5 0teaBlLdvUpgrade naar KadastraleKaart Pro
Bekijk op Street View
Download DWG/DXF/Excel
qd7RkvVWRQbrUpgrade naar KadastraleKaart Pro
cI9G1sOBQovQ2Upgrade naar KadastraleKaart Pro
x 4xflouVETsWUpgrade naar KadastraleKaart Pro
Jalz2Q0zy4aQ7HNWc7R5j7 Upgrade naar KadastraleKaart Pro
b7IJQj3S6fkKxUpgrade naar KadastraleKaart Pro
DSQRq7uz4 CirmHOWMkohUpgrade naar KadastraleKaart Pro
2lPVNwsxes2Tx0gLzWjUpgrade naar KadastraleKaart Pro
G eGDDEHgUpgrade naar KadastraleKaart Pro
dM fRs71DUqtSh7EUpgrade naar KadastraleKaart Pro
BH33lMC88f7zEZzQE23Upgrade naar KadastraleKaart Pro
26/09/2002

Percelen
Gebruik de zoekbalk of klik op een perceel om informatie over het perceel te bekijken.