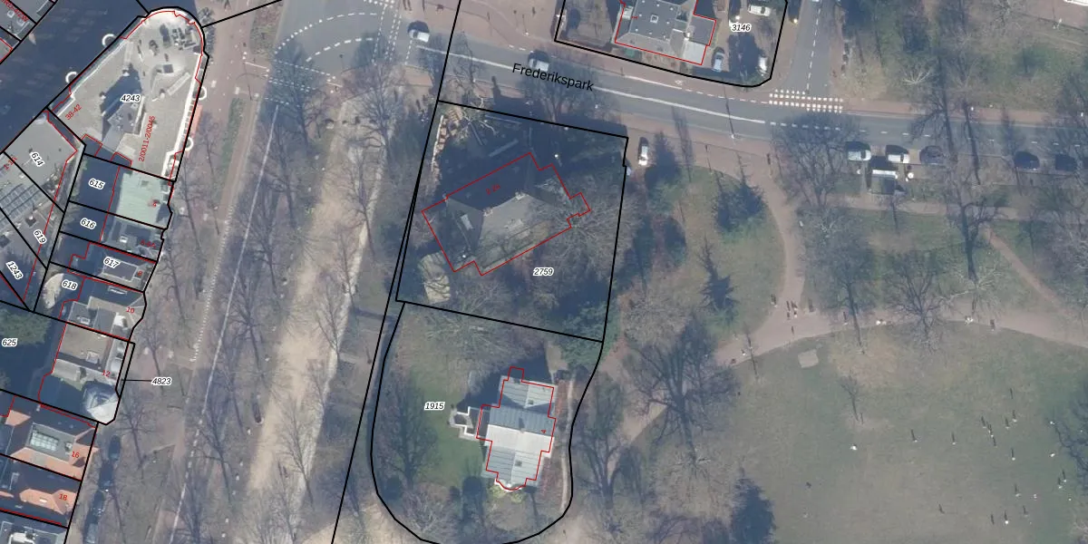
Perceel: HLM01-K-2759
KadastraleKaart.com kan meer dan je denktOntdek meer ›
Filter op bestemming 50+ datasets Eigendomsdata in één klik Percelen CRM
1.425 m2 - 150 m
Eigenaar opvragen
HLM01-K-2759 (Haarlem)
- 2012 DA
Qv oZk 7cPUewNkbvAObWSSkPUpgrade naar KadastraleKaart Pro
Bekijk op Street View
Download DWG/DXF/Excel
BLf8Vxb3 4B8Upgrade naar KadastraleKaart Pro
xtWYky Hs3Upgrade naar KadastraleKaart Pro
tv1qT3QpUpgrade naar KadastraleKaart Pro
mbJ2 kdsb86fijlsP MUpgrade naar KadastraleKaart Pro
D56aPj4Di1YElrpUpgrade naar KadastraleKaart Pro
UKYONHuTAexPs115Hr Upgrade naar KadastraleKaart Pro
JCfJqDlrf BDj wkeDv1JUpgrade naar KadastraleKaart Pro
B5MQbF2F0oUpgrade naar KadastraleKaart Pro
h l1MjPf6cmvolSqfy6Upgrade naar KadastraleKaart Pro
t hwS2fFP6gURUpgrade naar KadastraleKaart Pro
04/11/2005

Percelen
Gebruik de zoekbalk of klik op een perceel om informatie over het perceel te bekijken.