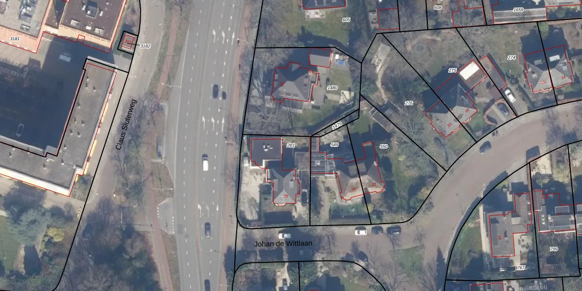
Perceel: HLM02-R-281
KadastraleKaart.com kan meer dan je denktOntdek meer ›
Filter op bestemming 50+ datasets Eigendomsdata in één klik Percelen CRM
760 m2 - 110 m
Eigenaar opvragen
HLM02-R-281 (Haarlem)
- 2012 PD
piUwhmEN1aFeSFa8ikE9pQTLZb M7Upgrade naar KadastraleKaart Pro
Verkoopprijs opvragen
Bekijk op Street View
Download DWG/DXF/Excel
GMCEcdVr7bOeCq0Upgrade naar KadastraleKaart Pro
8C1eH ybWoa V NUpgrade naar KadastraleKaart Pro
90bBJ r0Db TeV JDW1zg9Upgrade naar KadastraleKaart Pro
x0CpfqXDUmUpgrade naar KadastraleKaart Pro
VMZWjl5 Zs9iANRzEhBsCUpgrade naar KadastraleKaart Pro
LO mOt F3fXC3BUgUpgrade naar KadastraleKaart Pro
b2vv7 Kvuc88jz 1qo mrUpgrade naar KadastraleKaart Pro
Zgfahais9Vt Lc1GlIhjvheUpgrade naar KadastraleKaart Pro
gwk8J8nsEreHFt9 PIgPUpgrade naar KadastraleKaart Pro
2b hvg B 1 ZG8Upgrade naar KadastraleKaart Pro
17/11/2008

Percelen
Gebruik de zoekbalk of klik op een perceel om informatie over het perceel te bekijken.