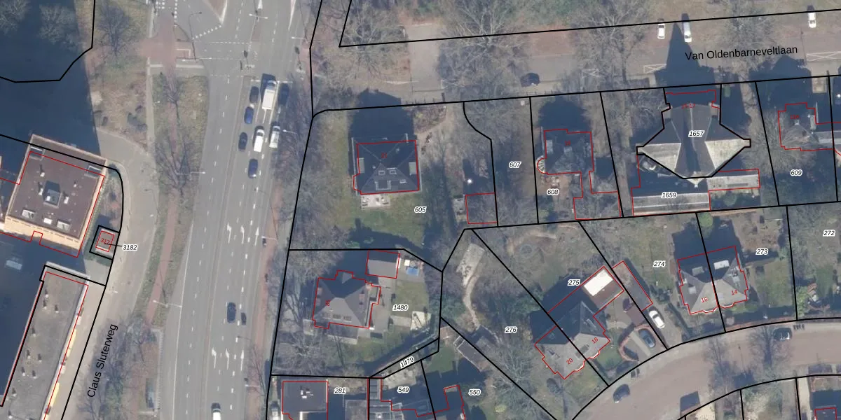
Perceel: HLM02-R-605
KadastraleKaart.com kan meer dan je denktOntdek meer ›
Filter op bestemming 50+ datasets Eigendomsdata in één klik Percelen CRM
1.486 m2 - 159 m
Eigenaar opvragen
HLM02-R-605 (Haarlem)
- 2012 PA
LKugppzoUqgf1R4Lep5JUiTaeM CNUpgrade naar KadastraleKaart Pro
Verkoopprijs opvragen
Bekijk op Street View
Download DWG/DXF/Excel
4ipsp1k YuYJ cUpgrade naar KadastraleKaart Pro
kigYKU 95lwX EUpgrade naar KadastraleKaart Pro
VOl2QQJgeTZy 7xe FmIQUpgrade naar KadastraleKaart Pro
ObO5 V UuUpgrade naar KadastraleKaart Pro
JCG1mgQrlUpgrade naar KadastraleKaart Pro
0elHP3S riwmKMURHGnUpgrade naar KadastraleKaart Pro
ATZN E VuhuUpgrade naar KadastraleKaart Pro
i4YqvuBmKUpgrade naar KadastraleKaart Pro
t dfcPD8zeMFuhgmsGtslUpgrade naar KadastraleKaart Pro
b99oD ZrDdNkrlBUpgrade naar KadastraleKaart Pro
17/11/2008

Percelen
Gebruik de zoekbalk of klik op een perceel om informatie over het perceel te bekijken.