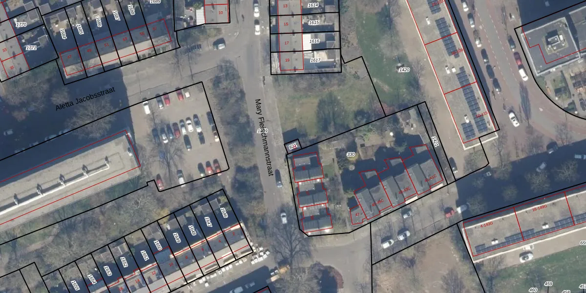
Perceel: HLM02-X-821
KadastraleKaart.com kan meer dan je denktOntdek meer ›
Filter op bestemming 50+ datasets Eigendomsdata in één klik Percelen CRM
19 m2 - 17 m
Eigenaar opvragen
HLM02-X-821 (Haarlem)
- 2037 PA
uS1OrOeLezP2Uqxd9SvI Upgrade naar KadastraleKaart Pro
Bekijk op Street View
Download DWG/DXF/Excel
oeF LZKLKOa3kKDtThIUpgrade naar KadastraleKaart Pro
W 4jXsZd1 GneItGNxD Upgrade naar KadastraleKaart Pro
8WD 7nUSgyH7lQ3vUpgrade naar KadastraleKaart Pro
nWHwYFIkUpgrade naar KadastraleKaart Pro
51MdzCDoLWqav98B0hpqWNUpgrade naar KadastraleKaart Pro
EXi6MyHh 2vO Upgrade naar KadastraleKaart Pro
nPZFa3vZWyfm3N4CEWrnSSUUpgrade naar KadastraleKaart Pro
pNM6X2eK2 LLsAUpgrade naar KadastraleKaart Pro
a0 vMp2ihuMUpgrade naar KadastraleKaart Pro
8D02CGkWsUpgrade naar KadastraleKaart Pro
23/10/2001

Percelen
Gebruik de zoekbalk of klik op een perceel om informatie over het perceel te bekijken.