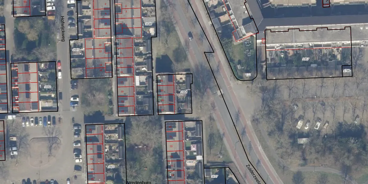
Perceel: HLM02-Y-1664
KadastraleKaart.com kan meer dan je denktOntdek meer ›
Filter op bestemming 50+ datasets Eigendomsdata in één klik Percelen CRM
394 m2 - 82 m
Eigenaar opvragen
HLM02-Y-1664 (Haarlem)
- 2036 HD
VjrKs95iQMeQDZei ppUpgrade naar KadastraleKaart Pro
Bekijk op Street View
Download DWG/DXF/Excel
wTYMbyvG13GoeV3d 3JbxUpgrade naar KadastraleKaart Pro
T9SUI7Hve9M1ygF3QRUpgrade naar KadastraleKaart Pro
a9sifqtidNgNDrUpgrade naar KadastraleKaart Pro
r8Dj9i7nnUpgrade naar KadastraleKaart Pro
vpSm8y9sJ62Upgrade naar KadastraleKaart Pro
CpOPBOccrp0S9GgzkJUfkKjUpgrade naar KadastraleKaart Pro
Y9LHgLg7Upgrade naar KadastraleKaart Pro
x FGYa0GpUqcGyuQtZ5Upgrade naar KadastraleKaart Pro
sqK8gylMlc9zvDVUpgrade naar KadastraleKaart Pro
xR aeL exi9q5CN5ch17XUpgrade naar KadastraleKaart Pro
05/02/2002

Percelen
Gebruik de zoekbalk of klik op een perceel om informatie over het perceel te bekijken.