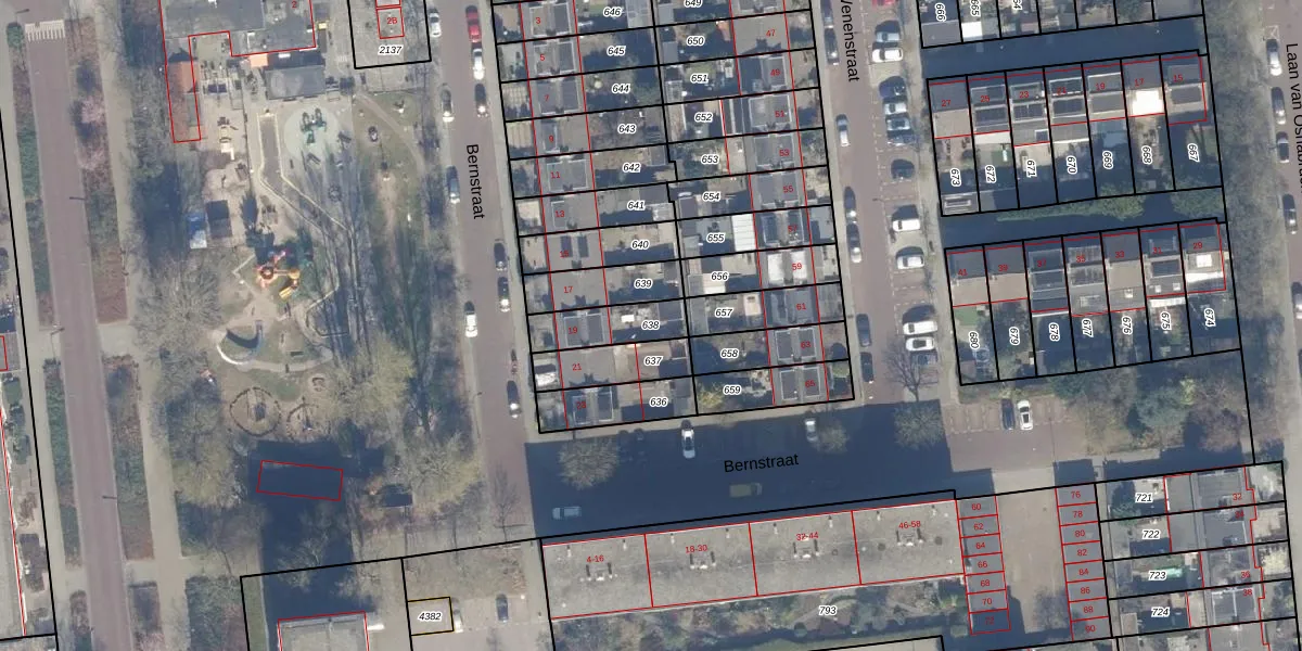
Perceel: HLM02-Y-638
KadastraleKaart.com kan meer dan je denktOntdek meer ›
Filter op bestemming 50+ datasets Eigendomsdata in één klik Percelen CRM
147 m2 - 61 m
Eigenaar opvragen
HLM02-Y-638 (Haarlem)
- 2034 CT
nMP HISHmECI9 qhH tl Q6zUpgrade naar KadastraleKaart Pro
Verkoopprijs opvragen
Bekijk op Street View
Download DWG/DXF/Excel
66 XX o9Q6apH9eAq94oucgUpgrade naar KadastraleKaart Pro
6hz3z9r fBTyUpgrade naar KadastraleKaart Pro
DfMvOGz ipLVZUpgrade naar KadastraleKaart Pro
HmjlaWyyoelnOjUpgrade naar KadastraleKaart Pro
gc2pIQV1XOq2BSgDO 8 BUpgrade naar KadastraleKaart Pro
MnFeZkzUVP Upgrade naar KadastraleKaart Pro
25GsJH0QcH wCVUpgrade naar KadastraleKaart Pro
R IqUJq IXZMmxUpgrade naar KadastraleKaart Pro
mT1uLGqwQhtRsdV 6VJUpgrade naar KadastraleKaart Pro
44 zFBDsgHMoUpgrade naar KadastraleKaart Pro
07/02/2002

Percelen
Gebruik de zoekbalk of klik op een perceel om informatie over het perceel te bekijken.